Cocaine dog editionPrevious Dog >>5102273
This is my puppy.
>>5106990too young for cocaine
>>5106990father, I am disappoint
>>5106990Cute bedhead lookin ahh
>>5106990Kek, why is there a menorah on a chewing toy?
>>5106996She consistently is when I don't walk her six fucking times a day. >>5107000I think the better question is why PetCo was selling chew toys with menorahs on them?
'tis the season of going /out/
My parents and I are in the emergency room of a local veterinarian because a you-guessed-it just bit the hell of their dog. Owner (also a you-guessed-it) had no fucking control over the animal, no leash, and even got angry and yelled at my dad like it was his fault. I wasn't there. Wish I had been there. Seeing red right now.
>>5106990Cute pupper.
>>5106990I wish to encircle her muzzle with my thumb and forefinger and gently squeezeCute squishy face>>5107041Stay strapped or get clapped. They should all be euthanized, but until that happens, it's irresponsible not to be prepared. At least carry a knife.
>>5107063I carry a knife everywhere. That's why I wish I'd been there. My elderly father won't even file a police report now because he's scared of the scumbags living down the street from him, there's this piece of shit housing project near my folks where people get shot. Their dog is going to be okay at least, thank God, just needed a big bag of medicine and stitches.
>>5106979greyhounds can have a little cocaine as a treat
>>5106990cute teddy bear
This is my puppy (and his parents.)
German sausage dogs is the greatest in za warudo!
https://en.wikipedia.org/wiki/List_of_extinct_dog_breedsWhich one would you bring back, /dog/? It has to be canis lupus, you can't have the fox or the coydog.For me it's the salish wool dog
>>5106990kys rabbi
>>5107325the dog destroys the toy tho
>try to get cute pic of girl in new shirt>she just wants cuddlessuffering from success
>>5107215>heh
Is this nu tho?
>>5107321>Chinese Happa dog from the 19th century, an ancestor of the modern Pekingese, Rothschild Zoological Museum, Tring, England
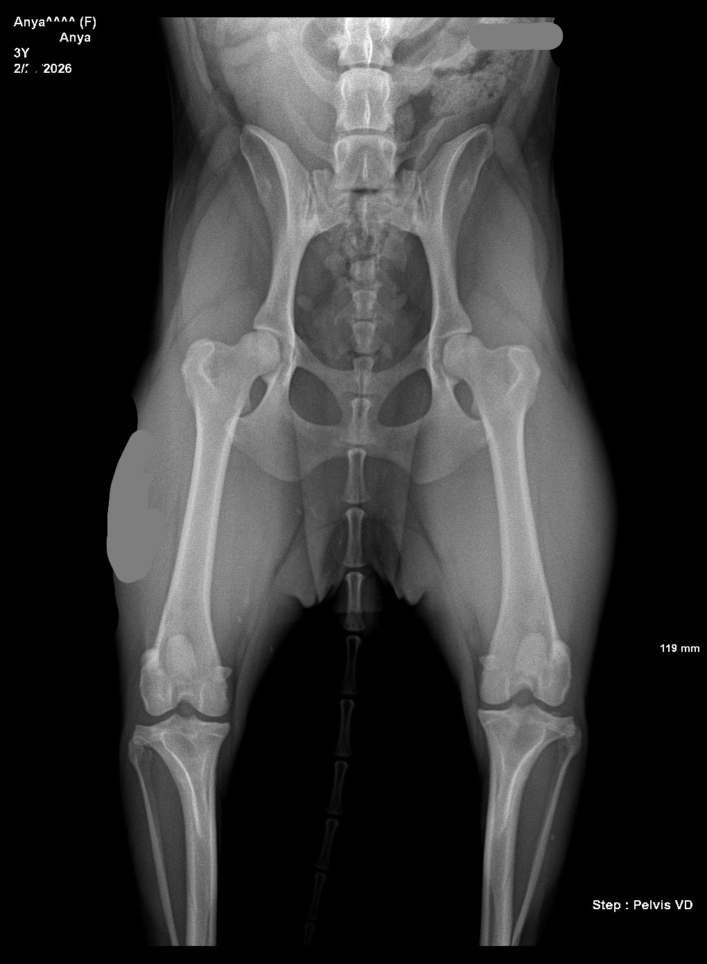
I'm one step closer to breeding Anya. The vet says she has good hips.
>>5107484is that what you're calling rape now?
>>5107505What are you talking about? I want her to have little babies some day. All the professionals x-ray dog hips.
>>5107321Turnspit dogs look like they could've been dachshunds without the back issues and constant barking. It's also just cool that there was an entire dog breed bred to be an engine.
>>5107525does the vet know you molest/abuse her?
>>5107563I don't molest or abuse her.
>>5107567whatever helps you cope at night
Is adopting a stray from the third world a good or bad idea?A friend of mine has 1 from a romania, its a very calm and well behaved dog, when he got her she was already 4, so its not all about how he raised her
>>5107527I remember these guys from an old episode of QI. https://www.youtube.com/watch?v=qu1B-5cRpuMThere was an added part that mentioned they were a spastic hot mess.
>>5107525I'm thinking of breeding her to a standard poodle instead of a wolf dog because my doulicous girl likes that breed.
>>5107609How hard is it to get rid of one once you've adopted it? You can usually tell if a dog is an asshole within a month of living with it. Gambling on strays is fine as long as whoever you're adopting from is aiming for good fit and not just trying to offload dogs.>>5107505>>5107563>>5107595Stop giving him attention, that's what he's here for. You aren't going to make him feel bad or go away.