[a / b / c / d / e / f / g / gif / h / hr / k / m / o / p / r / s / t / u / v / vg / vm / vmg / vr / vrpg / vst / w / wg] [i / ic] [r9k / s4s / vip] [cm / hm / lgbt / y] [3 / aco / adv / an / bant / biz / cgl / ck / co / diy / fa / fit / gd / hc / his / int / jp / lit / mlp / mu / n / news / out / po / pol / pw / qst / sci / soc / sp / tg / toy / trv / tv / vp / vt / wsg / wsr / x / xs] [Settings] [Search] [Mobile] [Home]
Board
Settings Mobile Home
/pol/ - Politically Incorrect


Thread archived.
You cannot reply anymore.


[Advertise on 4chan]


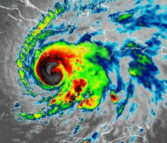
File: 5 am updoot.png (218 KB, 897x736)
218 KB
218 KB PNG
Hurricane Melissa, now category 4 and expected to become category 5 before landfall, is forecast to be the most intense and destructive hurricane to ever hit Jamaica in recorded history.

Shit's about to go down.
>>
https://www.youtube.com/watch?v=u70ySp4OuHY
Spooky assed nigger sitting on a chair at 5am using jah powah to flash the lights...
>>
Small chance but did anyone download
>>519816565
>>519816565
>>
>>519843463
Imagine the northward turn starts early, would path directly into kingston, and then head towards haiti. Melissa could make general BBQ look like mother theresa.
>>
>>519843463
can some anon listen to this with me????
https://sys.4chan.org/derefer?url=https%3A%2F%2Fm.youtube.com%2Fwatch%3Fv%3DW9bUFK29yU4
>>
>>519843463
/AHSG/
>previous thread link here
>say whatever you're gonna say here
>Preparations and Safety
Evacuation orders and map for Florida https://www.floridadisaster.org/evacuation-orders/
https://www.redcross.org/get-help/how-to-prepare-for-emergencies/types-of-emergencies/hurricane.html
https://www.ready.gov/hurricanes
https://www.weather.gov/safety/hurricane

>Sats and visuals
https://weather.cod.edu/satrad/
https://www.star.nesdis.noaa.gov/GOES/index.php
https://www.nrlmry.navy.mil/tcweb/active/
https://realearth.ssec.wisc.edu/?products=MIMICTPW2E.100&&timespan=-30t&animationspeed=100&animate=true

>Info and Data
www.nhc.noaa.gov
www.ndbc.noaa.gov

>Models
https://www.tropicaltidbits.com/analysis/models/
http://spaghettimodels.com/
https://www.ventusky.com/
storm.aoml.noaa.gov
>>
>>519843618
I hope it some how just pauses over Haiti, Dominican Republic, and Puerto Rico. Imagine 3 days of hurricane conditions.
>>
>>519843711
checked
i hope it goes straight to haiti as well
>>
>>519843589
jamaica is such a shithole. good riddance
>>
>>519843761
>jamaican niggers trying to do video editing live
https://www.youtube.com/watch?v=qTYPNazBV-0
>>
>>519843711
A direct haiti hit would be the absolute apocalypse. All it needs is that trough to grab her a little bit quicker. The north turn is the key, sooner the better.
>>
https://www.youtube.com/watch?v=8l8XQ5e7Nvw
>>
File: 1355600275195.jpg (6 KB, 225x225)
6 KB
6 KB JPG
>>519843844
wtf
>>
>>519843734
Imagine if it was an extinction level event for the island.
>>
File: rbtop-animated.gif (2.9 MB, 720x480)
2.9 MB
2.9 MB GIF
Oh yeah. It's happening.
>>
>>519844121
hurricane melissa?

jesus christ. i'm not sure if i'm more concerned about the lives of the people of jamaica or if i'm more concerned about the destruction of their island
>>
File: 1752634612115003.png (277 KB, 763x665)
277 KB
277 KB PNG
>>519843844
How many tabs does this nigger need?
Does he not know about bookmarks?

Does he have 8gb of RAM????
lol
>>
File: 3bzqqj7ou7qf1.jpg (1.55 MB, 3024x4032)
1.55 MB
1.55 MB JPG
>>519844169
This thing does look angry.
>>
>>519843844
Lmao how long is this going to go on
>>
>>519844423
it finally died kek
>>
>>519844904
Just as he was about to broadcast his telephone number... sigh, foiled.

Multicam to soak in the vibes pre-hurricane;
https://www.youtube.com/watch?v=8l8XQ5e7Nvw
>>
>>519843463
Why is there a general? It's just hitting a few 3rd world countries. Real countries aren't in trouble.
>>
>>519845745
10's to 100 of 1,000's of dead niggers are on the cards...
Chaos is our bread and butter.
>>
File: IMG_0078.jpg (183 KB, 1024x821)
183 KB
183 KB JPG
>>519845875
How many dead niggers are you predicting from Mel
>>
>>519843761
RARE
>>
File: file.png (14 KB, 631x75)
14 KB
14 KB PNG
Remember how hyped up this shit was?
They thought something bad was happening with the weather, turns out it was nothing.
>>
File: 1761476494336.jpg (48 KB, 512x512)
48 KB
48 KB JPG
>>519845745
>Real countries aren't in trouble.
No shit dude, when did any actual hurricane reach Europe exactly?

There's a chance of billions dead niggers anyway so that's good enough for me.
>>
Can the typical Jamaican house withstand 200mph winds?
>>
>>519846449
they build their homes with random scrap they find on the ground. Jamaica is known for their fast ability to rebuild after a hurricane. It really depends on what direction the wind blows, down wind people those people become the new elite class.
>>
>>519843463
>last thread was nothing but crying about niggers
>this thread has a shit OP
/AHSG/ is dead. It's all Confederate Meteroologist's fault. That nigger killed these threads with faggotry and brought in all the casuals. They never belonged here and neither do most /AHSG/ casuals.
>>
>>519846546
you really should go back- garbage like you is what makes ahsg untenable.comfiest threads on the web and you, like a south asian, see clean and instinctually have to enshitify.
>>
>>519846546
>It's all Confederate Meteroologist's fault
were you here last time when that niggerfaggot and his tranny brigade started intentionally thread splitting because some anon baked with (((unapproved sources)))?
even comfy hurricanes are a fucking psyop here
>>
>>519847486
Wunderfag and confed rivalry was peak /AHSG/ sad confed is so busy these days, hes a great info hound. I love the dropsonde data and radar. Anyways, adios jamicans was nice knowing yall.
>>
Melissa is a ho
>>
>>519848082
this is also what i mean
did you retarded niggerfaggot ass somehow miss the fact that i just said confederate trannyfucker was thread splitting because someone posted "unapproved sources"?
he's not "a great info hound" you stupid fucking jeet nigger
>>
File: 261136_key_messages_sm.png (470 KB, 897x736)
470 KB
470 KB PNG
>>
8am update still 140mph
>>
File: 20251026_080015.gif (1.97 MB, 237x203)
1.97 MB
1.97 MB GIF
Getting the buzz saw shape, she's a big storm.
>>
File: IMG_4342.jpg (44 KB, 531x578)
44 KB
44 KB JPG
>>519848492
So it’s a nothingburger once again. /ahsg/ always hypes it up to be a category 5 shitwrecker and then nothing happens
>>
File: 1727359158926225.png (185 KB, 657x800)
185 KB
185 KB PNG
>>519848750
kek
But it still has two more days until landfall!
>>
>>519848248
Do you ever get tired of being such a blowhard? Ahsg is for fun, not for people with a stick up their ass. Go hang out on tropicaltidbits with all the other wankers.
>>
>>519848724
Pressure is up to 952 from 944 shes weakening. Maybe an erc incoming?
>>
>>519849188
checked. yes itll slightly weaken then rapidly strengthen today/tonight
https://www.youtube.com/watch?v=FEVQ0eBLvxE
these niggers gonna die
>>
File: rb0.gif (127 KB, 720x480)
127 KB
127 KB GIF
Lot morE clouds on the east side now, probably will get WIDER.
>>
>>519850184
That convection burst could pull the eye more east. Towards kingston / haiti. Cmon Melissa, embrace your destiny. Somebody give her a burgerking crown.
>>
>>519848750
I hope it's a glitch in the Matrix or something.

The end is nigh, and it's going to be beautiful.
>>
File: 1741828846341909.gif (3.82 MB, 640x414)
3.82 MB
3.82 MB GIF
>>519843844
captcha: AY0NV
>>
WTF is it DOING!?
>>
>>519851962
It's over, the ships hidden in Atlas/3i are now here...
Thankfully they are killing the niggers first.
https://elite-dangerous.fandom.com/wiki/Thargoid
>>
>>519851962
eye wall replacement cycle
gonna see a cat 5 soon
>>
>>519852242
Well, I guess in the upside, the world's ratio of POC to White will change greatly over the next few days.
I hope your Alien Overlords will see fit to preserve the Humans they created and placed here so long ago and forgive us for cross breeding with the bipedal animals that were already here and which they forbid us to interbreed with.
This must be the result of their wrath.
Is it just the beginning of Tribulations?
>>
>>519852242
Watched it's track for 15 minutes. It's taking a wobble due East. Is it going to nuke Havana after it obliterates all of Jamaica and feeds them to the sharks?
>>
>>519847481
>>519848082
>Confederate Niggerologist and her tranny discord brigade shitting up /AHSG/ was peak /AHSG/
>Too bad Confederate Niggerologist isn't here shitting the thread up now.
Get the fuck out shitbag. Your kind doesn't belong here. Never did. Never will.
>>
>>519853568
Redskull will wipe their tranny discord shill farm off the map like he did Xanadu.
THAT was /comfy/.
>>
Melissa is a hungry girl.
>>
File: 1757078762189794.jpg (57 KB, 699x496)
57 KB
57 KB JPG
>>519853803
Nice hurricussy.
>>
>>519853845
It do be like that.
>>
File: IMG_3612.jpg (91 KB, 1024x995)
91 KB
91 KB JPG
>>519846546
Bullshit. It’s dead bc we’ve had 0 storms all year. Nobody gives a shit about some wet niggers. I WANT TOTAL TAMPA DEATH. Flood the fucking bay with 30 feet of storm surge
>>
>>519853568
Ok wunderfag. Just put your meme ID back on. I know its you.
>>
File: 1759628233777200.jpg (310 KB, 1792x1024)
310 KB
310 KB JPG
>>519854021
Fuck you nigger.
>>
>>519854021
Who cares about amerimuttstan? Are your mutilated penis-heads so dried up that you crave a lil storm that much? Get over yourself you dysgenic chud.
>>
File: IMG_3776.png (67 KB, 594x567)
67 KB
67 KB PNG
>>519854094
DUUUUUUUVAAAAAALLLLL
>>
File: IMG_4300.jpg (108 KB, 1024x746)
108 KB
108 KB JPG
>>519843463
>Hurricane in a hurricane area during hurricane season
How is this special again? Literally seems like a nothingburger
>>
File: 1728265437713763m.jpg (106 KB, 1024x599)
106 KB
106 KB JPG
>>519854021
The stargate weakened it and pulled Milton south.
>>
>>519843463
Isn't this bad for us though? Won't we get refugees and spend money to aid the aftermath?
>>
File: IMG_3817.jpg (91 KB, 763x1024)
91 KB
91 KB JPG
>>519854208
This guy fucks
>>
>>519854178
We will break the Wilma record if 882 mb nigger.
>>
File: IMG_8866.png (434 KB, 876x876)
434 KB
434 KB PNG
>>519854208
>>
File: 1737692309351501.jpg (219 KB, 1024x1024)
219 KB
219 KB JPG
>>519854130
Cant wait to heem Trevor for this
>>
File: america.jpg (116 KB, 900x576)
116 KB
116 KB JPG
any retarded idiot who left "boring" "cold" flyover country for the warm tropical vibez of the gulf coast deserves every hurricane that rapes their life
>>
>>519854434
Seething cornoid malding at coconutchads
>>
>>519854292
It’s not even going to get below 982
>>
File: IMG_0104.jpg (91 KB, 1024x967)
91 KB
91 KB JPG
>>519854434
Hurricanes are one of the best things about living in Florida. The most fun I’ve EVER had was during hurricanes >>519854614
Based Floridabro
>>
File: rhett bucler.png (1.91 MB, 1184x864)
1.91 MB
1.91 MB PNG
>>519854671
We are not bros if you are a TTD supporter.
>>
File: IMG_3606.jpg (191 KB, 640x780)
191 KB
191 KB JPG
>>519854879
I became TTD when they got rid of Scorpion. There is nothing left for me there now
>>
>>519854121
>Are your mutilated penis-heads so dried up that you crave a lil storm that much?

Kek
>>
File: 1547282294837453.jpg (149 KB, 1280x720)
149 KB
149 KB JPG
>3 dead reported in haiti already
So it begins...
>>
>>519854967
this is true Salt Life
>>
>>519853803

MOAR

BRAAAAAAAAP
>>
>>519854967
I too mourn the loss of Scorpion, but the Mack Rocking Boat era is upon us.
>>
>>519854967
Kek
It gotta be fake though
>>
>>519853803
this looks vaguely erotic
>>
>>519855085
Just dead or eaten too?
>>
>>519843463
my wife is currently on a vacation there with her friends. I can only hope she will be okay
>>
File: 1710365176668851.jpg (47 KB, 390x390)
47 KB
47 KB JPG
>>519854434
>be me
>honorary tampafag
>moved south from north
>hurricane = free impromptu vacation from work because I can evac and take PTO
>don't care about my place of residence getting blacked because I'm not a mortgagecel and everything I own that I care about fits in my car
>also a good excuse to shitpost here
Problem?
>>
>>519843463
>Hurricane Melissa is about to hit Cuba
>The US is about to invade its main oil provider
Looks like the Cuban regime is about to fall.
>>
>>519855085
That has nothing to do with Melissa though
>>
File: IMG_3504.jpg (19 KB, 320x242)
19 KB
19 KB JPG
>>519855264
>>
File: IMG_2787.jpg (26 KB, 300x200)
26 KB
26 KB JPG
>>519855425
>>
>>519855425
Yeah that's a good day for them. The hurricane will probably lower their murder rate for 48 hours actually
>>
any livestreams out there?
>>
>>519854662
>lack of numerals
[X] Doubt
>>
>>519855459
General BBQ can't get his grill started in the rain
>>
>>519855264
the problem is living in fucking Tampa

i recently moved back to the Tampa Bay area from Orlando, and while Orlando was really bad, i'm starting to feel like Tampa Bay is even worse. and this is coming from someone who lived next to a neighborhood owned by a gang of illegals in Orlando. Tampa Bay is just poor as fuck, and i feel like a bum for living here.

TTD when?
>>
>>519855783
I miss when Tampa was known only for being the strip club capital of Florida
>>
>>519855783
>>519855861
Tampa is a P2W city. If you have money it's a playground, if you dont have money, you can see through the matrix.
>>
>>519855252
You will no longer be playing sloppy seconds to niggers.
>>
File: -aUTR6oI_400x400.jpg (30 KB, 375x375)
30 KB
30 KB JPG
>>519855442
Good thing I don't have a truck or a goy life sticker, actually haven't been to the beach for leisure once in the 7 years I've lived here kekw
>>519855783
I'll probably go back up north eventually but for now I'm too lazy to move, I am a bum so I fit in here decently although I hardly ever go anywhere besides the gym and publix
>>
File: i275.jpg (693 KB, 1800x2289)
693 KB
693 KB JPG
>>519855783
i moved back last year, bro where did all these fucking haitians come from?
>>
>>519855470
https://www.skylinewebcams.com/en/webcam/jamaica/surrey-county/kingston/half-way-tree.html
>>
>>519856174
thanks fren
>>
>>519843463
>most intense and destructive hurricane to ever hit Jamaica in recorded history.
I doubt or at least I pray it won't be worse than Gilbert. That storm caused so much mayhem in Jamaica it affected me and I don't know a single person from there, live on the US East Coast hd8jjand am as white as can be.
>>
>>519856608
Fuckin cat jumped on my keyboard.
>>
>>519856608
When Melissa is done killing niggers she will sweep up the eastern seaboard to combine with a Nor'easter and wipe out Liberals in New England.
Put the blood of a newly slaughtered virgin sheep on your doorposts and it will pass over you.
>inb4source
>>
File: IMG_7132.png (2.23 MB, 1668x1364)
2.23 MB
2.23 MB PNG
>>519854178
To Israel
>>
File: IMG_0575.jpg (289 KB, 1170x1924)
289 KB
289 KB JPG
>>519856891
And she floods out the (((tunnels))) in JYC
>>
Latest run is 913 MB landfall with 180mph winds coming onshore noon to the west side of the island.
>>
File: IMG_8828.jpg (104 KB, 599x900)
104 KB
104 KB JPG
>>519856608
Holy fucking onions
>>
>>519857433
Anyone know why the goes west sattellite hasent updated since 7am?
>>
File: IMG_3772.jpg (64 KB, 511x640)
64 KB
64 KB JPG
>>519857885
AIDS
>>
>>519858154
Sadtimes. Melissa is too pretty a storm to not have a live daytime view.
>>
>>519855783
Bro move to Clearwater. The scientologist bought up a bunch of property so it's more quiet over here.
>>
>>519843761
Please don't be upset that I fucked your bitch in her ass this summer and sent her back to you. Do you think she stinks for no reason? And no worries. Once Melissa is through here, your little fucking island is toast. Do you understand?
>>519846437
>There's a chance of billions dead niggers anyway so that's good enough for me.

Only two million or so people live here. Do you have shit for brains?
>>519846536
>they build their homes with random scrap
That's a moronic assumption. Most of the infrastructure here is designed specifically to withstand hurricane conditions.
>>519852242
>It's over, the ships hidden in Atlas/3i are now here...
Average IQ of a /pol/tard has dropped signfiicantly over the decade if you legit believe this schizzo babble
>>519855783
>the problem is living in fucking Tampa
Yeah you're actually gonna get fucked. For some reason, You Florida folks build your shit out of paper mache' then act surprised when everything collapses.
>>
>>519858546
>Florida
>Paper mache

Retard the building codes here are insanely strict especially on the coast. All the newer buildings after Helene and Milton rolled through were practically untouched.
>>
Cruel Runnings, Mon.
>>
>>519858788
>the building codes here are insanely strict especially on the coast

Take that dick out of your mouth and watch and learn. Sodomite cocksucker.
>>
>>519858788
>All the newer buildings after Helene and Milton rolled through were practically untouched.
that sounds good but then youre still stuck living in florida
>>
>>519858966
I'm around Manchester. Where you at? Keep safe out there.
>>
>>519859029
>I'm around Manchester.
rip
>>
>>519858966
>that sounds good but then youre still stuck living in florida

Says the "developing economy". What's your primary export? Shea butter leave in conditioner? Fuck outta here
>>
>>519859324
Surprising lots of bauxite.
>>
>>519859324
see look at how angry living in florida makes you
maybe take your pet gator on a walk around the neighborhood. try not to get hit by a car its unfortunately very common there i hear
>>
>>519859476
Yea aluminum futures to the moon.
>>
>>519859626
You can talk shit about Florida when you get drinkable water. Nu water nu cry
>>
>>519859754
our tap water is potable
can you say the same?
>>
>>519859754

surprisingly quiet for ol' Florida man this year in terms of AHSG

Jamaica-mon about to get bitch slapped by Melissa though

BUMBOCLAAAAAAAAT
>>
>>519859754
>category 4
>hits jamaica
>turns into category 5
>before landfall


i can't wait to see how the media reacts to that
>>
File: florida.jpg (35 KB, 640x579)
35 KB
35 KB JPG
>>519859476
So it's not anything the Jamaicans make. It's a natural resource they just happen to live on. Would have never figured out how to extract it without WHITEY showing up with a use for it.

>>519859818
Yes and I can drive to a store less than 30 seconds from my house and drink water from iceland, france, the artic, multiple springs in the US and fiji. Get H2O mogged thirdie
>>
>>519860085
You guys thought we were gonna get wiped out last year by Beryl. Everything turned out fine.

Historically, Jamaica has always recovered well from Hurricanes. It's a big deal. but not really.
>>
>>519860254

Stop shit posting on 4chan and move your goats to the living room or no curry for you next week
>>
>>519860218
>WHITEY showing up with a use for it.
That's actually true. But how is that your problem?

It's literally my problem. Lol You're good bro.

Did some homeless rasta bang your bitch?
>>
Mmmm might go grab me a Jamaican patty for lunch today lads
>>
Jamaician govt breifing from just now.

https://www.youtube.com/watch?v=iDv7rcyNxmo

>>519858546
You've not been here a decade you dumb lying (is there any other kind of nigger?) nigger.
>>
>>519860254
Beryl hit as a cat 3 on the east side which kept the storm surge low. This is gonna be a cat-5 with the on-shore winds aimed directly at kingston.

>>519860357
>But how is that your problem?
It's not my problem, but Jamaica really isn't in a position to talk shit about any US state. Your country exists purely because occasionally people like to take cruises there to visit resort areas built by white guys. You're a net drag on north america and next week my country, including guys from florida, are going to have to fly there to save the retarded nigs that cant save themselves. AS ALWAYS
>>
>>519843463
You retards never learn. These lying green commies are always lying about these storms to push their green commie agenda.
Nothing is going to happen. These island retards still better prep, because even a small storm will fuck shit up.
>>
We are in the middle of an Eyewall replacement cycle, so that's why pressure is steady (but also will make it more deadly for the island)
>>
>>519857270
kek very nice
>>
>>519861039
prediction on wind speeds on landfall still 160 mph?
>>
>>519860585


Kek, 13,000 gallons of diesel stolen from backup generators

and they have 30% of their lineman augmented... So 233 linemen total for the entire island? LOL
>>
>>519860585
>you dumb lying (is there any other kind of nigger?) nigger.

What the fuck did you just say about me, you little bitch?
>>
File: 1664331027056273.png (592 KB, 992x558)
592 KB
592 KB PNG
>>519860085
Yea it's been boring as fuck.
This might be the only fun storm to watch this year.
>>
Tampa is so invincible mother nature didn't even try this year kek
>>
File: hurricane_boat_pepe.gif (2.25 MB, 900x900)
2.25 MB
2.25 MB GIF
>>519861756

4 more weeks in the season I guess
>>
>>519861662
Tap yuh noise yuh stupid bastrd son a whore yuh mada fat
>>
>>519861883
Florida is dropping into the 50s next week so your only hope for activity is Caribbean islands getting Cat-5d
>>
File: 1755767230932726.png (2.46 MB, 2171x1212)
2.46 MB
2.46 MB PNG
I thought the camera had travelled 48hrs forward and was broadcasting the aftermath... then i realised it was just a nigger controlled country, today.
>>
>>519862094
>Florida is dropping into the 50s next week so your only hope for activity is Caribbean islands getting Cat-5d

As a yaadie would typically say, 'badmind fi kill dem'.

I've said it before and I will again, The Caribbean, or at the very least Jamaica is good. Yeah there will be devastation, but we have always bounced back. In terms of resilience, I can't say the same about anyone else.
>>
>>519862102
A paved road with crosswalks is actually pretty impressive for a thirdie country. Usually it's just a dirt road and traffic free-for-all with chickens and stray dogs darting between cars and trash
>>
>>519843463
>is forecast to be the most intense and destructive hurricane to ever hit Jamaica in recorded history
>Jamaica
How is this my problem?
>>
>>519862300
I'm pretty sure that corner is the high-tech business district center, the most modern and expensive part of Jamaica.
>>
>>519843463
wake me up when something aims for florida
>>
>>519862258
This is a 200 year storm. I really dont think you people are grasping the magnitude and the recent model runs are getting worse less than 40 hours from landfall
>>
>>519858546
Goodbye, Jamaica.
>>
>>519846358
Everything gets hyped nowadays for views, clicks and ad revenue. Peak jewish society.
>>
Jeff latest, possibly live, buffering for me.

https://www.youtube.com/watch?v=jTHtM2visO8
>>
>>519846358
It was a fake out and stayed off shore.
It obliterated Carriacou though.
>>
Kek, every year people who have never been in a hurricane freak out and then nothing happens.
>>
>>519855442
>>519855114
>live in mountains
>people still have salt life stickers
>>519860085
I knew it was going to be a quiet hurricane year when the climatologists predicted it would be the strongest hurricane season ever recorded which would wipe the entire coast off the map. Those guys are always wrong.
>>
>>519862989
It's buffering for me too
>>
File: 1747965073527743.png (981 KB, 899x641)
981 KB
981 KB PNG
>>519856174
Its starting to rain at least
>>
>>519862644
Recon is flyin in now, should be intresting to see if double eyewall or not.
>>
>>519864773
Also why did they drop a dropsonde in the middle of nowhere to measure 30kt wind, lol.
>>
>>519862300
Its literally like downtown in the capital, thats not impressive
>>
>>519861277
Man this recon pass, ill be surprised if shes 140 at landfall. She looks, kinda meh. Good structure but no firepower.
>>
File: Rita hyuck kek.png (164 KB, 445x324)
164 KB
164 KB PNG
Total nothingburger season here in Florida
>>
File: 235236262626266.png (629 KB, 872x775)
629 KB
629 KB PNG
>>519865835
Other way around, All the firepower in the world but working out a jam, that jam being an outer band of convection trying to outpower the inner eywall.
>>519861277
Probably 170-180 MPH, though depending on the EWRC, it could be 160 but the entire island is under cat 2 winds.
>>
File: 1753735801988553.png (442 KB, 1345x913)
442 KB
442 KB PNG
>>519864918
I bet they just got imaging that wasn't nearly as close as I would expect it to get.
>>
>>519866160
I swear I had that thought when they reported an intermittant double eyewall from the kingston radar. Inner eyewall refusing to die. But I thought, nah thats crazy. How will this affect it if the inner refuses to collapse?
>>
>>519854273
lmao that was my house
rip lam chop
>>
Seems like Recon found 949 mbar
>>
>>519854273
Comfy snack cache
>>
>>519867227
I dont see it jumping to 160+ unless it gets some help. Open water, 31c not much shear and its barely intensifiying.
>>
Holy fuck Jeff said the eastern side of the island is supposed to get 40" of rain
>>
https://www.youtube.com/watch?v=5ZxL_jSmMmw
>>
File: IMG_2317.jpg (166 KB, 1280x847)
166 KB
166 KB JPG
>>519867160
RIP Lamb chop.
>bro I’ve had the ocean in my living room not once, but TWICE. It was comfy af watching the storm surge roll in up my windows. It was literally an inside out aquarium until the water started coming out in fountains in my floor. I fucking love hurricanes so much bro it’s unreal
>>
File: Capture.png (1.24 MB, 1577x694)
1.24 MB
1.24 MB PNG
I forget which storm it was, but remember when we were watching the flat bridge cam in Jamaica hoping for bridge failure? It had a bunch of debris against it, but apparently it is indestructible.
https://www.skylinewebcams.com/en/webcam/jamaica/middlesex-county/spanish-town/flat-bridge.html
>>
>>519843463
When is this supposed to hit?
Melissa is a very basic bitch name for such a ferocious storm.
>>
File: 1567705368793.jpg (224 KB, 900x807)
224 KB
224 KB JPG
>>519865927
>THERE WILL BE 30 NAMED STORMS AND 10 MAJOR HURRICANES GOYIM
>not a single hurricane came near us this year
You can't hate climate kikes enough.
>>519867552
Over three feet of rain, expect the shit we saw in Helene out in the mountains there.
>>
>>519868341
It almost would've been nicer if it were ocean water, mine was shit/lake water. We ended up moving out of that town entirely because the city had been the ones who didn't set up the pumps before the storm (like they had for the last 50 years) and then left the water in our neighborhood for an entire month. The councilwoman who had been in charge of the stormwater management is now mayor, so I pity the people who buy the houses in that neighborhood.
>>
>>519866770
It will eventually, either through melding or just dying.
>>
File: IMG_8720.jpg (74 KB, 478x611)
74 KB
74 KB JPG
>>519868637
Probably built by the British
>>
>>519868637
Probably the brush by last year with Beryl?
>>
>>519868746
Probably
>>
File: IMG_0106.jpg (108 KB, 1024x767)
108 KB
108 KB JPG
>>519868739
Yeah, when I bought my new house I made sure it was in zone X. That’s my number one priority. Still was a super comfy time tho. Moved all my shit way ahead of time and put the cars in a parking garage up the road. Sorry to hear that tho fren, storm water is no joke and carries a lot of bad shit, the fact that you had it stick around must have sucked
>>
>>519868637
Beryl last year
It might fail this year if the rain amounts are accurate
>>
File: niggerrobber.webm (2.09 MB, 1280x720)
2.09 MB
2.09 MB WEBM
>>519868078
kek, the dude talking now just said they haven't pre-positioned generators or fuel because they will get stolen
>>
>>519868814
>>519868937
Yeah, that sounds familiar
>>
>>519868994
someone said during the last hurricane they had like 30,000 gallons stolen?
I mean, it's niggers they are dealing with and the power/water/telecoms companies have adjusted their plans to take niggering into account (for the benefit of niggers)...
>>
>>519843463
This sure escalated quickly.
Turned out to may be the strongest hurricane to ever make landfall in Jamacia.
Hold on to your butts.
>>
File: pepelaugh.jpg (14 KB, 255x242)
14 KB
14 KB JPG
>>519869186
>I mean, it's niggers they are dealing with and the power/water/telecoms companies have adjusted their plans to take niggering into account (for the benefit of niggers)...
What a mess
>>
File: IMG_3788.gif (1.37 MB, 1022x1146)
1.37 MB
1.37 MB GIF
>>519869301
Rolling for TOTAL JAMAICA DEATH
>>
File: 1748546586113966.png (332 KB, 705x794)
332 KB
332 KB PNG
Love this signing nigga like you wouldn't believe..
>>
>>519869366
check'd
>>
File: nasimchekd.jpg (10 KB, 250x250)
10 KB
10 KB JPG
>>519869366
>>
140/946
What is up with the fluctuating pressure
>>
File: nicequads22.jpg (161 KB, 670x1021)
161 KB
161 KB JPG
If someone gets quads, I have this Jamaican edit.
>>
When everything starts going down, here's Jamaica's main newsradio station.
https://radio.garden/listen/nationwide-90fm/JnMy-o9O
>>
I'm watching this news conference and he's pleading for the construction companies to take their cranes down
they have a bunch of cranes up in the city
brilliant
>>
TND?
>>
>>519869793
Lmao they also have it making landfall at 155mph
>>
>>519870001
They're not evacuating villages in low lying areas
gonna be brutal
just recommendations that no one will listen too
>>
File: Capture.png (75 KB, 459x465)
75 KB
75 KB PNG
The chat is saying it is disrespectful to wear green right now, tf difference does that make. Also, pre-paid cell is already going down.

>>519870001
The chat is full of Jamaicans and they are freaking out
https://www.youtube.com/watch?v=5ZxL_jSmMmw
>>
>>519870148
Can you imagine the amount of potential missiles laying around in a 3rd world country. Not to mention the shacks that are going to be ripped apart and flying around.
>>
>>519870177
Yup, he's talking about getting on his knees to beg if it will help them evacuate and they are talking about colors
they are so fucked kek
>>
>>519870303
It went from a tropical storm to a cat 4 in 24 hours and now its looking like a cat 5 on landfall.
Its going to be fucking crazy.
>>
BUMBACLOT YA BATTIBOY BE A MAKIN FUN OF JAMAICA BUT DE WIND BE A COME
>>
>>519870325
The are going to have to import ganja mon from the US.
All their weed crops are going to drown.
>>
File: 1632380200525.jpg (52 KB, 960x720)
52 KB
52 KB JPG
Hurricane Melissa Is Doing Something We've NEVER Seen Before

https://youtu.be/iRM9O6ZsMCM
>>
File: IMG_3622.jpg (34 KB, 720x540)
34 KB
34 KB JPG
>>519870622
Cool it with the anti semitism XD
>>
>>519870153
yup, they sent buses and they refused to evacuate...
They putting their faith in jah!
>>
DE RAIN BE A COMIN WOOOOOOYYYYYYYYYY
>>
File: 1732877688021637.jpg (183 KB, 1931x1855)
183 KB
183 KB JPG
They're already looting
>>
>>519870727
they're all going to drown
>>
>>519870870
You say that like it’s a bad thing
>>
>>519870958
I just don't like the kids suffering from their stupid fucking parents even thought they're niglets
>>
File: Capture.png (21 KB, 447x136)
21 KB
21 KB PNG
>>519870808
>No lutering this time!
>>
File: Melissa Advice.png (19 KB, 583x165)
19 KB
19 KB PNG
>Batton down! Put blocks on your zinc roof! Tie all goats, dogs and cow!
>>
Still stuck at 140mph.
>>
File: TTD chud.jpg (380 KB, 1067x1049)
380 KB
380 KB JPG
>>519854021
based
>>
File: IMG_3114.jpg (73 KB, 814x960)
73 KB
73 KB JPG
>>519871073
I spent a lot of time in Africa so I can emphasize and the little niglets are adorable AF, but anon you gotta remember those little niglets grow up. They wrote a whole book called Freakonomics that credited the breakthrough in lowering crime in the 90s with making abortion legal after RvW so a whole generation of niggers weren’t born
>>
>>519871174
Kek, look at Melissa with the solid advice!
>>
>>519871285
how long has it been stuck at 140 mph?
>>
>>519871285
>Still stuck at 140mph.
Gary will show up soon
>>
DEM A RAINDROP BE SOON COME TA CHICHIMON BE LAUGH AT JAMAICA BUT JAMAICA STRONG TING
>>
File: Mexico-Beach-House-1.png (562 KB, 708x367)
562 KB
562 KB PNG
>>519871174
We have the technology to live in these environments but the land is wasted on retarded browns. Picrel is Florida Man's house which was the only one built intentionally to survive a Cat 5
>>
>>519870177
checked and kekd
>interpreter has hand tattoos and gold teeth, doesnt know real sign language, just winging it
>youtube blocking the phone numbers from being posted for the help lines
>havent taken down cranes or evacuated low lying areas
>knew the storm was going there last week
what a fucking shit show. im gonna make a pizza. what's everyone want on it. also numerals and it takes an immediate turn for haiti
>>
>>519871520
>what a fucking shit show.
Indeed. I hope a few streams stay up.
>>
The shelters are all going to get BTFO too
>>
>>519871740
I think all their cell towers are already down, we probably won't even see Jeff again
>>
>6 MB Drop in the last hour
We're back at it again, explosive intensification.
>>
File: Jamaica fucked.png (28 KB, 1012x170)
28 KB
28 KB PNG
>>519871893
They're in shelters?
>>
>>519871740
I hope we get some kino footage but that whole island is going to go dark tomorrow night with their shit tier infrastructure
>>
File: Capture.png (21 KB, 486x160)
21 KB
21 KB PNG
>No one is answering the phone
This is going to get grim. Reminds me of Dorian kinda.

>>519871996
Damn, F
>>
>>519872097
They just said on the press stream that there are 800 something shelters but no one is going to them
>>
A JAMAICA DOOM BE A SOON COME WOOOOOOOOOOOOOOOOOOOOOOOOOOOOOOOOY
>>
>>519871349
kek
Since the 5am update.
>>
>>519872212
Yes, they refused to get on busses and refused to evacuated low lying areas.
Everyone is going to ride it out in the flood zones.
>>
>>519872255
Truly Dread mon
>>
>>519871520
Oof, sounds like it's going to be quite the mess.
>>
is it comfy to sit inside your house during a hurricane?
>>
Jamaica is going to get a chance to rebuild a new modern nation after this
>>
>>519860357
Lol
>>
>>519872391
IS GOOD I GET OUT FROM TIME BUT ME MANS AND FAMILY GON DROWN
>>
>>519872565
yes.
>>
>>519872565
hurricanes are great
its the after thats annoying
>>
hurrycames don't real
>>
File: 1728208760268523.jpg (27 KB, 255x247)
27 KB
27 KB JPG
>>519872565
Absolutely, wind howling and doors/windows shaking with terrential rain.
>>
>>519872565
I was not a fan when Ike passed directly over my house. The wind was super loud. Going outside as the eye passed over was kinda cool though.
>>
>>519872041
You say that but melissas convection looks like its getting squeezed by dry air or something. The deep convection is much smaller the last 6 hours or so. The eye looks great tho. High level wind is weaker then midlevel, it feels like shes coasting. Not intensifying.
>>
File: fucking wetback.png (949 KB, 830x598)
949 KB
949 KB PNG
>>519861068
I mean that hurricane was a wetback who was refused entry to the US by CBP
>>
File: G1d2xaSXEAI5W1s.jpg (98 KB, 900x657)
98 KB
98 KB JPG
>>519868730
probably this year they were all named after illegal immigrants and therefore denied entry to america
>>
File: Capture.png (1.98 MB, 1186x783)
1.98 MB
1.98 MB PNG
Live cams:
HWT Transport center: https://www.youtube.com/watch?v=rqAQeWHIgi4
Kingston Harbor: https://www.youtube.com/watch?v=jVr7_V4Tohw
Flat bridge cam: https://www.youtube.com/watch?v=k4Lt_iev8x4
>>
File: ecmwf_mslp_pwat_watl_1.png (199 KB, 1024x706)
199 KB
199 KB PNG
>>519873105
There is no dry air issue, the water is the hottest in the Atlantic, and the water heat is so deep that it could hypothetically sit in the same spot for 48 hours and maintain sub 910 MB system. The only issue right now is structure, it has a double eyewall that is contracting, and we'll likely see a merge soon a pretty unintrusive process.
>>
File: 1727311376291396.gif (80 KB, 1027x731)
80 KB
80 KB GIF
>>519873359
Oh sweet, thxs.
>>
>>519873105
Here's the outer eyewall coming into form.
>>
https://www.youtube.com/watch?v=EyuOmliwBRc
I found someone streaming driving around
>>
File: 345576367424672.png (312 KB, 1174x897)
312 KB
312 KB PNG
155 MPH in eyewall dropsonde.
>>
is it gonna hit further west of kingston than initially thought, towards the center?
>>
>>519843463
Life is like a hurricane here in nigburg
>>
>>519872490
>>519871740
are there any streams up? i'm pretty sure theyre all gonna lose power/internet before the storm even gets close to be honest. from not paying their bill. niggers and whatnot
>>
On Jamaica's newsradio feed, there was a guest saying he'd rather die than leave his slum and go to the shelter.
>>
>>519873700
see >>519873359
>>519873568
>>
will pub subs be sent as disaster relief?
>>
>>519873359
thanks anon
https://multistream.me/yt:rqAQeWHIgi4/yt:jVr7_V4Tohw/yt:k4Lt_iev8x4
>>
>>519873626
yes, current projected centre is slightly west of the big town on the south coast in the middle of the Island.
It's a small place so everyone is getting fucked, except the extreme west coast.
>>
File: sir ma stapler.jpg (246 KB, 1488x1456)
246 KB
246 KB JPG
>>519873838
>>519873700
checked, thanks bro
already a stream down lol lmao
>>
>>519873812
Which ones do you want? Also, yes, Publix does a lot of donating to storm relief.
>>
>>519873812
Hopefully Governor DeSantis is working on it. Will Flat Bridge make it through this one?
>>
>>519873812
no nigger if any of you survive you'll have plenty of dead people to eat
>>519873928
their cell service is already going down
>>
>>519873928
>>519873787
meant for you lol i'm tarded
>>
TOTAL JAMAICAN DEATH
>>
>>519872565
I spent time in hawaii as a kid and rode out a few tropical storms that were hurricanes, they're loud.
One time was so much rain but not much wind that all the kids took boogie boards and rode a river that were created down a main street.
>>
File: scrn.jpg (61 KB, 657x525)
61 KB
61 KB JPG
>>519873856
Because im seeing picrel now but i remember a few days ago they said direct impact on kingston
>>
EYYYYY MOOOOOONNNN NOOOOOOO!!!
>>
>>519873929
idk. max meat
>>519873944
if that weird fuck touches my sub im chucking it at a wall
>>
>>519874026
i remember last week when they were saying it was gonna hit haiti asking them all "why arent you even givin jamaica a watch?"
and getting banned from all chats
fuck all these jewtube weather "communities"
bunch of bunker tranny faggots, kikes and boomers
>>
If the climate people are not just lying about how strong this storm is it will be worse than Gilbert and that was a catastrophe. I wonder if the people running the airports will remember to send all the passenger planes somewhere else this time. During Gilbert they just parked ALL the planes on the tarmac and hoped for the best.
>>
>>519874051
do you fuckers eat pork? i forget
>>
>>519872697
I moved to hawaii after iniki as a kid, father was in construction.
Things were destroyed for years.
People didn't have jobs because things were destroyed and it was mainly a service industry island with the resorts and tourism.
It was a very hard time for people and I didn't understand this until I was an adult.
>>
JEFF LIVE
https://www.youtube.com/watch?v=0QKttoLHhwE
>>
>>519851962
Could weather mods be doing this to hide our navy headed for Venz and Colombia?
>>
File: 1727305329677026.jpg (92 KB, 720x725)
92 KB
92 KB JPG
>>519873513
Nice, time to let it rip Melissa.
>>519873812
Probably, Publix uses relief for tax write offs.
>>519874026
If the eye wall passes well east of Kingston that will be a huge help but they will still be getting max storm surge and feet of rain.
>>
File: Montego.png (552 KB, 1139x727)
552 KB
552 KB PNG
>>519874026
Anything to the right of the storm will be really impacted, but even direct impacts of cat 3+ winds are going to be felt be about 1.2 million. Surge will still probably destroy the airport, and entire island will still feel cat 2 winds at the least with 3+ feet of rain.
>>
press feed is back on a different channel
https://www.youtube.com/watch?v=WP5sx0hryO4
>>
File: Untitled - Copy.jpg (200 KB, 1000x1542)
200 KB
200 KB JPG
>>519874239
https://multistream.me/yt:rqAQeWHIgi4/yt:jVr7_V4Tohw/yt:k4Lt_iev8x4/yt:U67jHOGjH70/yt:0QKttoLHhwE
>UPDATED LIVE STREAMS
UPDATED LIVE STREAMS
>UPDATED LIVE STREAMS
BAKER, copy/pasta the typical AHSG thread stuff i posted earlier and add those streams plz
>>
>>519843463
Rolling for total Jamacia destruction and total Hatie destruction.
>>
Why the fuck can't Tulum get some fucking CAT 6 HYPERCANE on its way? Fuck that place.
>>
>>519874323
having a publix sub for the hurricane getting drunk is peak comfy. fuck i've had some good nights shitposting with you fags
>>
>>519860585
Where dat Lookerino?
>>
>>519874323
Derp, I meanT west but one model.has it looping around to swing back into haiti?
LOL
>>
>>519874185
...
yes
>>519874191
>Things were destroyed for years.
>People didn't have jobs because things were destroyed and it was mainly a service industry island with the resorts and tourism.
>It was a very hard time for people and I didn't understand this until I was an adult.
so the aforementioned bad after
>>
File: 1754695117696700.png (98 KB, 384x215)
98 KB
98 KB PNG
https://youtu.be/Jouuf1YB2bg
>>
File: hafsa_mslp_wind_13L_19.png (223 KB, 1024x811)
223 KB
223 KB PNG
>>
>>519873513
I see it, I just wish it would hurry up.
>>
>>519860585
Typical nonsensical nobody ever watches these things for fucks sake
>>
well im off to watch the mexislurp gp
dont move the hurricane while im away ill get upset
>>
>>519874324
Got to go to Ocho Rios in 1980. Many cruise ships go there to take on water.
>>
File: 1727328807083109.webm (3.9 MB, 1280x720)
3.9 MB
3.9 MB WEBM
>>519874508
there's one where it does a 360 and walks out into haiti. i was hoping for that one
>>
>>519874026
as of a few hours back the grey one was the closest but on the orange side.
They are hoping it moves west.
>>
File: 1727329925901576.webm (3.83 MB, 1280x720)
3.83 MB
3.83 MB WEBM
https://multistream.me/yt:rqAQeWHIgi4/yt:jVr7_V4Tohw/yt:k4Lt_iev8x4/yt:U67jHOGjH70/yt:Jouuf1YB2bg
>>
It really needs to pick up speed I don't want to wait until Tuesday to see destruction
>>
>>519873580
Ok I retract my previous statements. That NW dropsonde is crazy.
>>
>>519874501
https://www.youtube.com/watch?v=Jouuf1YB2bg
>>
File: Capture.png (821 KB, 897x585)
821 KB
821 KB PNG
>>519875085
Seems like they should start seeing some effects tonight? It's so close.
>>
File: 1727349175503155.jpg (81 KB, 975x822)
81 KB
81 KB JPG
>>519874541
Not the direct kingston hit happening fags want but 920mB will be brutal.
>>519871478
Michael was a freight train, if Melissa comes in with that kind of punch anything near landfall is toast.
>>
Looks absolutely horrifying on IR right now
>>
>>519843463
Rolling for the complete obliteration of playa de Morales.
>>
>>519875475
>>519875682
Notice that the eye is completely clear of clouds now, we are going nuclear boys.
>>
>>519876134
Nice rare merchant
>>
New bread or what
>>
File: SHRIMP.png (1.39 MB, 898x924)
1.39 MB
1.39 MB PNG
WE'VE RETURNED TO SHIMP AS HIGH-END CAT 4!
>>
>>519876134
wow
>>
>>519876482
I got it, like old times.
>>
New
>>519876964
>>519876964
>>519876964
>>519876964
>>519876964
>>
>>519876692
Hurry up im fuckin hungry
>>
>>519858546
GENERAAAAAL



[Advertise on 4chan]

Delete Post: [File Only] Style:
[Disable Mobile View / Use Desktop Site]

[Enable Mobile View / Use Mobile Site]

All trademarks and copyrights on this page are owned by their respective parties. Images uploaded are the responsibility of the Poster. Comments are owned by the Poster.