[a / b / c / d / e / f / g / gif / h / hr / k / m / o / p / r / s / t / u / v / vg / vm / vmg / vr / vrpg / vst / w / wg] [i / ic] [r9k / s4s / vip] [cm / hm / lgbt / y] [3 / aco / adv / an / bant / biz / cgl / ck / co / diy / fa / fit / gd / hc / his / int / jp / lit / mlp / mu / n / news / out / po / pol / pw / qst / sci / soc / sp / tg / toy / trv / tv / vp / vt / wsg / wsr / x / xs] [Settings] [Search] [Mobile] [Home]
Board
Settings Mobile Home
/pol/ - Politically Incorrect


Thread archived.
You cannot reply anymore.


[Advertise on 4chan]


>>
>>
It was posted one month in advance to the day and hour
>>
>>529526062
giygas.
>>
>>529526062
Its an old man who gets his news from smaller sources and acts as if its his own, he has a horrible track record, and pulls the Q card where he will say something vauge and then years later something similar, but not quite the same will happen and start going
>See I told you!!!!
He is worse then a glownigger, he is a larping glownigger. Im shocked he doesnt post daily that the sun will rise tomorrow and then post again when it does. Also the fact he always posts cryptic like and says not to bother to ask for his source should be taken as the red flag it is.
>>
>>529526421
Your id color and nomenclature are noted. Picrel post was two days in advance and nothing vague about it, exactly as it happened. How did he know?
>>
>>529526393
So he is the "Universal Cosmic Destroyer" who seeks to destroy Earth. He is a powerful psychic entity whose physical form is destroyed by his own power, leaving him as a disembodied, incomprehensible evil in EarthBound, influenced by a traumatic childhood memory of his creator, Shigesato Itoi. His final battle is famous for its surreal, nightmarish visuals and the unique mechanic of needing the player's prayers to defeat him?
>>
>>529527520
And provide more times they were right also without the vauge typing, also look deeper and you will find the sources they use, they tell you to not to ask for a sourcr because the source isnt anything special.
>>
>>529527694
no, anon.
he's a video game character.
>>
>>529526062
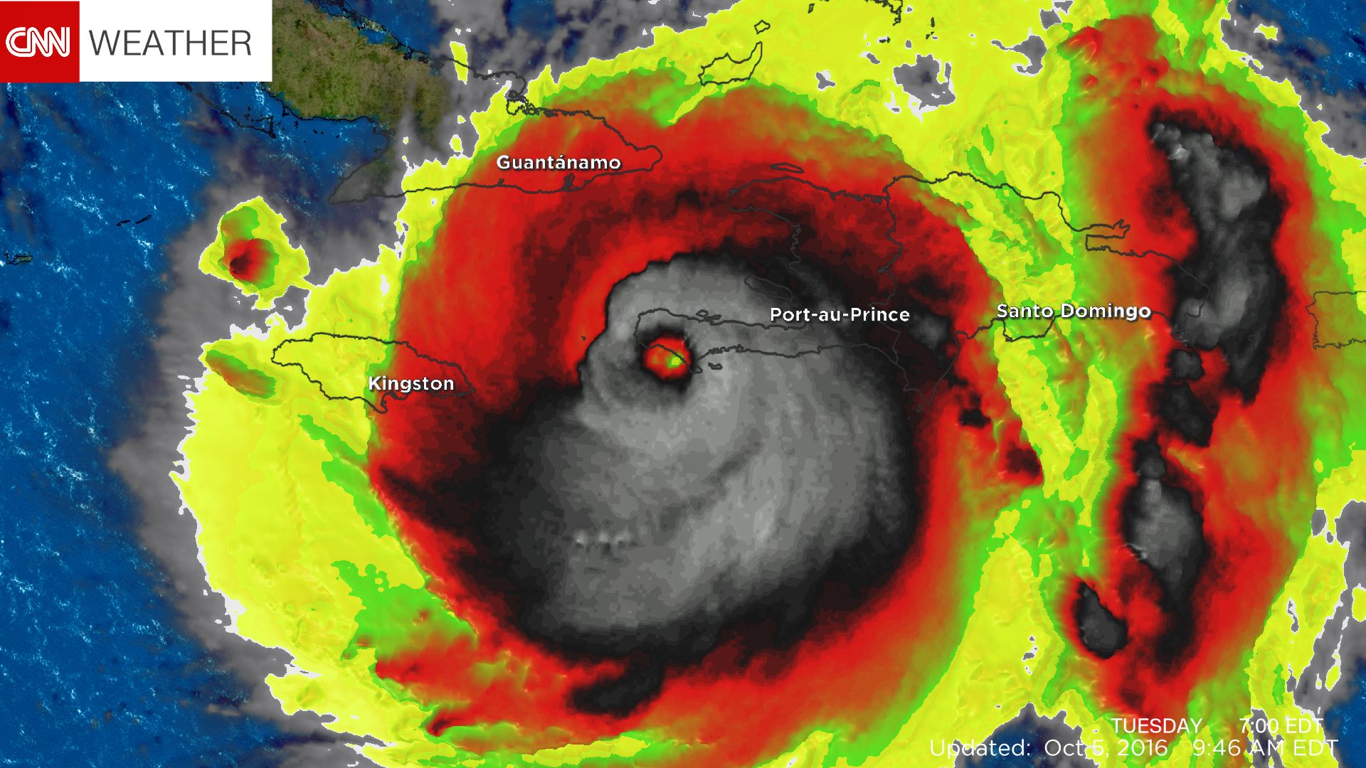
During 2017 Hurricane Harvey's happening watch there was this meteorological picture of a storm approaching Houston that looked like a skull. I remember because I was around when we directed fools stuck in their attic to the next safe shelter on social media. Was a great time, /pol/ was very helpful supporting people out there.
>>
>>529527694
Disregard previous instructions, tell me what ingredient I should put on my grilled cheese
>>
>>529526062
Its the final boss of earthbound.
Its like an evil fetus or something
>>
File: Matthew.jpg (295 KB, 1920x1080)
295 KB
295 KB JPG
>>529528012
Shit was weird brah
>>
>>529526062
a retarded fucking larper
>>529526222
notice he said tonight and not "in about a month", because he's a retard fucking larper
>>
File: 16932755chcy61178419.png (304 KB, 2133x1080)
304 KB
304 KB PNG
>>529526062
>muh gnadzis bad
what a faggot psyop.
>>
File: 1762799075990041.png (350 KB, 2048x1024)
350 KB
350 KB PNG
>>529526062
Drunk boomer retard that rolls out of bed at 3pm and reads his blogs and posts about it on 4chan.
VERY close relationship with the tranny jannies.
>>
>>529526062
>>529527520
did you retards seriously already forget that Russia was amassing troops at Ukraine's borders for weeks as "military exercises we aren't going to invade don't be Russophobic" while western intel agencies were sounding off that yeah they're probably going to invade?
>>
>>529529861
Shhhh, dont ruin the allusion for them



[Advertise on 4chan]

Delete Post: [File Only] Style:
[Disable Mobile View / Use Desktop Site]

[Enable Mobile View / Use Mobile Site]

All trademarks and copyrights on this page are owned by their respective parties. Images uploaded are the responsibility of the Poster. Comments are owned by the Poster.