[a / b / c / d / e / f / g / gif / h / hr / k / m / o / p / r / s / t / u / v / vg / vm / vmg / vr / vrpg / vst / w / wg] [i / ic] [r9k / s4s / vip] [cm / hm / lgbt / y] [3 / aco / adv / an / bant / biz / cgl / ck / co / diy / fa / fit / gd / hc / his / int / jp / lit / mlp / mu / n / news / out / po / pol / pw / qst / sci / soc / sp / tg / toy / trv / tv / vp / vt / wsg / wsr / x / xs] [Settings] [Search] [Mobile] [Home]
Board
Settings Mobile Home
/pol/ - Politically Incorrect


Thread archived.
You cannot reply anymore.


[Advertise on 4chan]


File: IMG_1205.jpg (179 KB, 970x1024)
179 KB
179 KB JPG
OI WASTEMAN SKENG SENPAI INNIT
MELISSA AND HER CREW WILL MEET YA WITH DE MANDEM OUTSIDE TESCO'S IN BRIXTON AFTER LANDFALL INNIT
WANNA FIGHT?

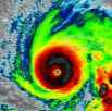
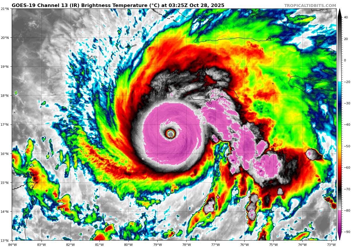
MELISSA: CURRENTLY 903MB/175MPH

>Preparations and Safety
Evacuation orders and map for Florida https://www.floridadisaster.org/evacuation-orders/
https://www.redcross.org/get-help/how-to-prepare-for-emergencies/types-of-emergencies/hurricane.html
https://www.ready.gov/hurricanes
https://www.weather.gov/safety/hurricane

>Sats and visuals
https://www.dapiya.top/satellite/floater/
https://weather.cod.edu/satrad/
https://www.star.nesdis.noaa.gov/GOES/index.php
https://www.nrlmry.navy.mil/tcweb/active/
https://realearth.ssec.wisc.edu/?products=MIMICTPW2E.100&&timespan=-30t&animationspeed=100&animate=true

>Info and Data
www.nhc.noaa.gov
www.ndbc.noaa.gov

>Models
https://www.tropicaltidbits.com/analysis/models/
https://www.pivotalweather.com/model.php
https://weather.us/model-charts
http://spaghettimodels.com/
storm.aoml.noaa.gov
https://deepmind.google.com/science/weatherlab
https://www.weathernerds.org/models/fnv3.html
>>
melissa is phat
>>
File: 20251027_230556.gif (1.98 MB, 216x210)
1.98 MB
1.98 MB GIF
SHE TURNED EAST
>>
20k dead island niggers incoming
>>
CONTINUATION OF:
>>519988738
>>
you can see the flag, yes?
>>
Melissa is my gf, pls be respectful guys.
>>
>>519994751
downgraded to cat 4 in the next 3-4 hours guaranteed
>>
>>519994944
Lol I got head from her in high school, cuck
>>
2 MORE PASSES!
>>
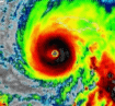
Latest Stats...
11:00 PM EDT Mon Oct 27
Location: 16.6°N 78.5°W
Moving: NNE at 2 mph
Min pressure: 903 mb
Max sustained: 175 mph
>>
File: IMG_1206.png (1.4 MB, 1608x1322)
1.4 MB
1.4 MB PNG
>>519995008
>>519994894
>>519994823

SHEEEEEIT
>>
I have already donated in advance to hurricane relief in Jamaica
>>
>>519995018
Come on, just a bit more until sub 900.
>>
>>519995093
faggot
>>
File: uhGnVUuuWc.png (1.54 MB, 1211x1157)
1.54 MB
1.54 MB PNG
>>519994751
ai nigger went to bed thank god
if you or your friends or anyone you know posts ai slop constantly, they're a uncreative faggot and should off themselves.
>>
File: 3463646462.png (4 KB, 289x110)
4 KB
4 KB PNG
Insanity.
>>
Imagine it just turns and goes in a straight line to Israel
>>
File: BuffaloSoldier.webm (2.94 MB, 720x404)
2.94 MB
2.94 MB WEBM
LETS GO MELISSA
DROWN THOSE NIGGERS
>>
>>519995177
Based
>>
calm before the storm
https://www.youtube.com/watch?v=R7BptNxZ2sE
>>
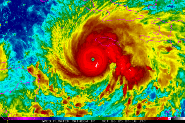
File: IMG_1208.jpg (504 KB, 1170x2233)
504 KB
504 KB JPG
/ OURGIRL / NOW THE STRONGEST STORM WORLDWIDE BEATING RAGASA (A CHINK STORM)

MEL: 903 MB
CHINK: 905 MB
>>
209mph
>209mph
209mph
>209mph
209mph
>209mph
>>
File: IMG_8588.jpg (68 KB, 1206x747)
68 KB
68 KB JPG
>>519994894
Rolling for 2.839 million dead rastas
>>
>>519995221
Rips up the Mississippi, turns into the great lakes and fucks everything up for a few weeks, roars up the st lawrence and destroys eastern canada.
>>
https://www.youtube.com/watch?v=k4Lt_iev8x4
https://www.youtube.com/watch?v=jJ6C03WtBJE
https://www.youtube.com/watch?v=jVr7_V4Tohw
https://www.youtube.com/watch?v=oB-FPjPS14Q
https://www.youtube.com/watch?v=U67jHOGjH70
https://www.youtube.com/watch?v=u70ySp4OuHY
https://www.youtube.com/watch?v=I0w-636mEDY
https://www.youtube.com/watch?v=SPwW9xN3e1M
>>
File: 1547282294837453.jpg (149 KB, 1280x720)
149 KB
149 KB JPG
SWEET TOTAL NIGGER DEATH...MELISSA
https://youtu.be/71xvwVQABvw
>>519995291
Nice
>>
time for bed, stay safe and dry my islander frens
>>
>>519995018
3-day zooms in a bit
>>
File: 1755689361466538.gif (3.31 MB, 700x925)
3.31 MB
3.31 MB GIF
>>519995304
>>519995331
What would another 100 mph matter
>>
>>519995214
>>519995304
Reminder:
>I want to clear up any confusion as people are starting to post stuff about ADT satellite intensity estimates on Melissa on social media.

>Until we get recon aircraft out onto Melissa overnight tonight, the satellite intensity estimates are way too bullish in this scenario because they’re taking into consideration of the CDO temperature minus the eye temperature and the ADT tends to go a bit too aggressive. But one thing’s for sure is Melissa is more than likely stronger than it was earlier today, but just how much stronger again we won’t know the answer until recon goes out into the storm. Once the next advisory comes out and any recon data comes in I will be posting it here on social media on X.

https://x.com/Weatherunited1/status/1982665053112353272

Only aircraft recon (and eventually ground observations) can confirm the true intensity.
>>
>>519995457
It is a statement to its sat presentation. This is like really nerdy stuff that has really not many implications for storm damages.
>>
>>519995093
but yet no trans gf....
>>
File: IMG_1336.jpg (455 KB, 1170x1168)
455 KB
455 KB JPG
>>519994751
BUMMMMMBOCLAAAT PUSSYCLAAT RASCLAAT BATTY BOY FIYA FI DAT WAGWAAAN INNA YAAD MAN
>>
>>519994944

I had three different gfs named Melissa when I was a youngster.
>>
File: IMG_1177.jpg (236 KB, 1024x884)
236 KB
236 KB JPG
>>519995389
SHE HAS BEEN BEATING A LOT OF CHINKS LATELY
>>
>>519995687
A quick search shows 51% of transwomen in Jamaica are HIV positive. It would be in your best interest to avoid indulging in such faggotry.
>>
File: IMG_1341.jpg (780 KB, 2048x1707)
780 KB
780 KB JPG
>>
>>519995811
WERE THEY ALL FAT
>>
How many of these will we see after the BASEDicane fucks nigger island up?

https://theync.org/haitian-gang-member-became-a-puzzle.htm
>>
File: 1720014385519285.gif (323 KB, 992x415)
323 KB
323 KB GIF
>>519995646
I know you know how to interpret it, but you should also know that simpletards are gonna see it as well and assume the storm is *significantly* stronger than they are reporting.
Perhaps consider adding the disclaimer so I don't have to ;3
>>
File: IMG_2425.jpg (32 KB, 400x449)
32 KB
32 KB JPG
Is anything happening yet? I pray to you Jesus our one true GOD that no lives are lost. Amen
>>
>>519994751
Where are you guys donating to help the Jamaicans after the storm? Is the Red Cross still good?
>>
File: 352532116561.png (10 KB, 437x146)
10 KB
10 KB PNG
>>519995846
You gotta update that chart RN
>>
>>519995846
out of date, she's now gotten to -4.11 deg C
>>
>>519995687
Is this the same anon? Honestly, if you go out like this, posting on pol about wanting trans bussy, dare I say based
>>
>>519995846
How I can read this?
>>
>>519995930
So there have already been several deaths attributed to this storm, so your prayers have failed.
>>
>>519995989
With your eyes?
>>
>>519995933
Melissa smokin that ganja, she needs visine. LOTS of visine.
>>
>>519995881

Just the married one that took my virginity, that damn whore
>>
File: Ivan_2004_path.png (311 KB, 960x593)
311 KB
311 KB PNG
>>519995862
>I got to see 12 of these beasts alive
I got wilma's sloppy 2nd's and ivan's sloppy 2nd's and katrina's sloppy 1st's.
kek
>>
>>519995965
i like what i like
i will not apologize for being correct
>>
JUST WOKE UP AFTER A 24 HOUR BLACKOUT

ANY NIGGA STREAMS?
>>
>>519996267
Are you actually in Jamaica right now?
>>
>>519995933
>>519995933
A LEDDITOR OWNS THE DATA SOURCE AND HE REFUSES TO CHANGE IT
HE SAID “real earth not accurate”
Reeeee
>>
>>519995862
Mitch was good at Total Beaner Death.
Good ol Mitch.
>>
why she behaving like this tho?

>>519996306
kwab
>>
File: 1728428067647015.jpg (24 KB, 236x232)
24 KB
24 KB JPG
>>519995952
Is there a theoretical limit to this?
t. slow mover frances but we eat feets of rain np usually kek
>>
>>519994855
>still on track to buzzsaw montego and then go hard east into haiti
nice
>>
File: hurricaneBERG.jpg (69 KB, 702x720)
69 KB
69 KB JPG
>>519996326
So was Beta, fuck NHC kikes retiring greek alphabet kino.
>>
its still cold.

none of you came to cuddle
>>
File: 1000018414.png (2.81 MB, 1536x1024)
2.81 MB
2.81 MB PNG
>>
File: 338328.jpg (722 KB, 2200x2200)
722 KB
722 KB JPG
>>519994751
When's the eye supposed to hit?
>>
File: 4626512621161.png (4 KB, 303x128)
4 KB
4 KB PNG
Captcha are slow as shit today. Anyway record breaking ADT, in addition, another recon pass to confirm the sub 900 MB pressure.
>>
File: 1727349175503155.jpg (81 KB, 975x822)
81 KB
81 KB JPG
>>519996466
Around late morning noon'ish today.
>>519996556
Been shitting the bed at times lately.
>>
File: 3365476466.gif (148 KB, 1360x903)
148 KB
148 KB GIF
>>519996429
Its happening
>>
File: jCYh6T62_400x400.jpg (12 KB, 293x293)
12 KB
12 KB JPG
>still not under 900
also wtf is wrong with the site, clean it up gookmoot
>>
Radio Jamaica taking listener phone calls through the night, pretty comfy.
https://rjr94fm.com/live.php
>>
>>519996556
871? no shit?

>enter the characters with circles above them
>diamonds are circles
ok I hate it
>>
File: 638393777.png (132 KB, 925x385)
132 KB
132 KB PNG
>>519996556
What is dis shit is it because of atlas
>>
File: 20251028_003327.gif (520 KB, 105x97)
520 KB
520 KB GIF
MELISSA MARCHES TOWARDS TND
>>
>>519996639
Can I call in?
>>
>>519994751
>903MB
got a way's to go to get to the 888mb record
>>
File: 500.jpg (47 KB, 485x484)
47 KB
47 KB JPG
>>519994751
LOOTERS could be here, he thought. I've never been flooded before. There could be LOOTERS anywhere
>>
>>519996639
see >>519996810
I wan don tak ti da rasta mons
>>
>900mb
>185mph
900mb
185mph
>900mb
>185mph
We're getting at least one more recon pass incoming
>>
>>519996809
why the heck is it so black bros is that good or bad for the mons
>>
>>519996639
I listened to this during that one hurricane that sat on top of them for like 3 days
People were calling in from their attics, during the eye of the storm, asking for help and that they would not make it the second half of the storm.

Shit was fucked. God bless Jamaica in the coming hours.
>>
>>519996947
Are these sustained winds? Or gusts?
>>
i knew a melissa once, hope shes doing well.
>>
>>519996664
>>519996556
See >>519995457

>>519997049
10 second wind speed I believe
>>
>>519997053
So did I, I saw what looked like smokers loogie fall out of her pussy after I fucked her in high school, brutal stuff. Enough about me though I am here for dead rasta niggers
>>
File: 20251028_004458.gif (1.52 MB, 229x181)
1.52 MB
1.52 MB GIF
>>519997000
Intensity scaling by color in IR, very bad in this case.
>>519996913
COMMENCE THE NIGHT JIGGLING
>>519997049
Sustained and pressure readings, will vary as they compile all data and shit for new update numbers.
>>
FUCKIN NOISY WIND

IM TRYMA SLEEP HERE
>>
>>519997735
Keep hitting the snooze button mon...
>>
>>519997735
i dont think its going to quieter yah man
>>
>turn east when people in west escaped to kingston
>>
>>519997735
Don't worry mon marley, soon the wind will send you into the ocean so you can sleep forever
>>
Holding steady @ 902mb (subtract 1mb per 10kts for 'off-center' dropsonde)
>>
>>519997771
Who are these gays with their cartoons for retarded children? Get out.
>>
File: 20251028_010007.gif (1.78 MB, 160x293)
1.78 MB
1.78 MB GIF
For those that asked why it is turning, the vapor ridge is coming in nicely now, dark blue curve descending on Florida is kicking this out so no TTD this time.
>>519997924
This happens a lot in Florida...
>Irma - omg we'll die
>flee to west coast
>it follows them
>Ian - omg we'll die
>flee to ft myers
>it follows them
Many such cases...
>>
nothing burger
>>
>>519998289
jamaicans dying is a comfyburger
>>
File: Dr. Dagon.jpg (19 KB, 320x320)
19 KB
19 KB JPG
>>519994751
BLOOD CLOT RAS CLAT MOST HIGH GOD SPEAK TO THIS HERE WIND AND TELL HER BE STILL AND KNOW THAT I AM GOD JAH RASTAFARI IRE MON.. NOW BE STILL YOU UNRULY WIND.
>>
I just realized blind people are illiterate. They literally can't read, and fewer than 10% of them can read braille. How much money is wasted putting braille on signs when none of these illiterate sight retards can read.
>>
File: Where.jpg (660 KB, 1284x1310)
660 KB
660 KB JPG
>WHERE IS JEFFFFFF?????????
>>
File: latest-1535448874.png (915 KB, 930x1051)
915 KB
915 KB PNG
We the sea folk will reclaim our land.
Yes kings.
>>
>>519998193
sliiiiiiiide
>>
>>519998633
Like the sign language mafia they even have braille in the OR of hospitals.
You know for blind employees?
>>
>>519998193
TTD will never happen. Tampa is protected by the graves of Indians.
>>519998043
Anime website.
>>
>>519998680
https://x.com/Jeff_Piotrowski/status/1982858265223717051
>>
>>519998726
https://en.wikipedia.org/wiki/Americans_with_Disabilities_Act_of_1990#Disabilities_included
>>
File: G4Ur80BXgAE6zYa.jpg (308 KB, 1254x1212)
308 KB
308 KB JPG
We keep breaking records out here
>-4.07C
>>
>>519999021
Whats that mean anon? I've to busy larping as a rasta nigger in these threads to actually comprehend any of the information you anons have been posting.
>>
File: G4UsjXebcAATXYu.jpg (309 KB, 1254x1212)
309 KB
309 KB JPG
>Above -4C now
>>
File: 1587283394959284.jpg (97 KB, 727x482)
97 KB
97 KB JPG
>>519998866
>Harkin delivered part of his introduction speech in sign language, saying it was so his deaf brother could understand
STUNNING AND BRAVE
S
>>519999021
Pic related.
>>
>>519999141
How warm and (more significantly) dry the eye of the hurricane is. A drier eye strongly correlates to more powerful storm.

Before Melissa the record was -5C
>>
File: noahmelissadry.png (386 KB, 601x544)
386 KB
386 KB PNG
>>519999283
>>519999141
https://x.com/NbergWX/status/1983043424946114943
>>
File: NiggerGhoster.webm (1.79 MB, 1920x1080)
1.79 MB
1.79 MB WEBM
>>519999283
>>519999389
TOTAL rasta DEATH
>>
File: jeffmelissa.png (14 KB, 610x182)
14 KB
14 KB PNG
>>519998861
>>519998680
https://x.com/Jeff_Piotrowski/status/1983043517812277594
>>
Wx casual and late to the party. have you guys seen a noticeable change in NOAA's reporting this year? Is it more AI driven?

Any gut feelings about the next 24 hours?
>>
>>519999474
If big numbers are gotten it changes course and heads straight for niggertown usa, and makes landfall during the snap outage
>>
>>519999474
If he has a generator he better be armed. Feral niggers are going to start chimping out in a day or so
>>
File: nhcjamaicarip.png (42 KB, 854x288)
42 KB
42 KB PNG
>>519999547
>>
Will more die from the hurricane itself or from the looting and chimping out in the weeks to follow?
>>
File: 1716897020847965.png (131 KB, 342x372)
131 KB
131 KB PNG
>>519999668
Alwatsllys more deaths after the storm.
>>519999474
I hope he is armed to the teeth, kek.
>>
>>519994751
The hurricane will not hit the u.s.
>>
File: joshmelissa.png (492 KB, 596x538)
492 KB
492 KB PNG
https://x.com/iCyclone/status/1983043651069444174
>>
>>519999630
>safe shelter
>404 error
>not found mon
>>
>>
>>519999808
Honestly an open field that doesn't flood is best bet if you are ground zero.
>>
File: IMG_29232.png (584 KB, 1016x748)
584 KB
584 KB PNG
Hows the projected landfall?
>>
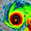
NEW NUMBERS, SO CLOSE!
2:00 AM EDT Tue Oct 28
Location: 16.8°N 78.4°W
Moving: NNE at 2 mph
Min pressure: 901 mb
Max sustained: 175 mph
>>
File: 1739377479906459.jpg (145 KB, 1024x1024)
145 KB
145 KB JPG
Pressure continues to drop...
GET IN THERE
REEEEEE
>>
File: nhcmelpath27A.png (125 KB, 922x700)
125 KB
125 KB PNG
>>519999979
Sometime around sunrise through the afternoon.
>>
Kingston halfway tree cam is KILL
is there another livestream?
>>
clearly moving NE now. should get exciting soon
>>
>>519999547
They ain't getting paid right now
They're doing it FOR FREE
>>
File: Apes-A-Poppin.jpg (62 KB, 640x480)
62 KB
62 KB JPG
>>519999668
>island nothing but rape apes, on weed

The chimping 100%.
>>
File: 20251028_015709.gif (527 KB, 103x102)
527 KB
527 KB GIF
>>520000294
YOU HAVE NO CHANCE TO SURVIVE
MAKE YOUR TIME
>>
Nvm, same channel had other streams
https://www.youtube.com/watch?v=u70ySp4OuHY
https://www.youtube.com/watch?v=I0w-636mEDY
>>
File: 20251028_020551.gif (2.86 MB, 640x427)
2.86 MB
2.86 MB GIF
FULL SPEED AHEAD
>>
Logs already floating in the flatbridge cam water
>>
>>520000795
>>520000205
>missing kingston entirely
what’s even the point
>>
>>520000795
>>520000805
Post links, I want to see dead niggers
>>
>>520000406
NOAA got DOGED
>>
>>520000854
No dead niggers yet, just logs. Might have to rewind a bit to see.
https://m.youtube.com/watch?v=k4Lt_iev8x4
>>
File: noahmelissaeast.png (561 KB, 603x765)
561 KB
561 KB PNG
>>520000830
Maybe, maybe not...
>https://x.com/NbergWX/status/1983047371098308836
>>
>>520000830
They sit next to the mountains getting 2-3 feet of rain, tbd.
It's basically their hurricane Maria but worse because more niggers.
Power restored in 2026 maybe? kek
>>
File: TOTALSANKADEATH.jpg (257 KB, 1079x810)
257 KB
257 KB JPG
>>520000968
>trending back east
Montego will bw vaporized regardless.
>>
File: 20251028_023231.jpg (760 KB, 2160x3840)
760 KB
760 KB JPG
>>520000952
You can see a noticeable increase in water level and flow now.
And still half a day from land fall, kek.
>>
>>520001764
And the rain event hasnt even started proper yet.
>>
File: 28_0156591.webm (2.41 MB, 1362x747)
2.41 MB
2.41 MB WEBM
>>520001764
webm because still images don't really do it justice
>>
https://www.youtube.com/watch?v=07cPJ4VZGdE

so it begins....
>>
File: 20251028_025446.jpg (377 KB, 1341x1676)
377 KB
377 KB JPG
>>520002827
I'm impressed there is still power.
>>
ITS DOWN
>>
>>520001764
>>520002639
>>520002761
Oh they are so fucked.
>>
>>520002761
i will miss you flatbridge
>>
File: picnik.png (115 KB, 371x373)
115 KB
115 KB PNG
>94FM Jamaica radio got a lot of callers on the text saying "it's windy"
>>
>>520000952
>>520001764
>>520002761
>>520003078
Evan Fryberger is doing a great stream on YouTube right now if you guys want to check it out.

He’s up all night (or it could be his assistant) and they’re narrating and announcing in real time. Also has the camera feed up
>>
>>520002761
It'll be wild if the entirety of that bridge gets washed away, it's apparently been there longer than the US has been a country (before 1774 but after 1724)
>>
How long until Total Island Nigger Death?
>>
>>520002761
Insane how fast the water is rising now
>>
227.5 mph winds at higher elevations in Jamaica.
Even concrete structures will be destroyed
>>
>>520003271
There’s a guy in the fucking hut, I just realized. Streamer I’m watching said apparently the feed from that camera is a government one, the small hut next to the bridge has an official in it, he’s been there all night watching the river and reporting it’s volatility back to government agencies.
>>
File: 1760401230102364.png (537 KB, 3331x1402)
537 KB
537 KB PNG
>>520003067
From this map i recon some of the power stations in the south will go offline.

https://openinframap.org/#8.67/18.1836/-77.1989

(Can be slow to load)
>>
>>519995457
>satellite intensity estimates are way too bullish
why is the mass destruction side of the scale bullish
>oh this is bearish bro
>the city's destroyed????
>no everyone's fine, a lawn chair tipped over, super bearish bro
>>
>>520003227
Link it
>>
>>520003271
>>520003320
I just heard on the stream that there's someone in the fucking hut too
So keep that in mind when looking at bridge footage
Godspeed to the bridgekeeper
>>
>>520003339
Godspeed to that poor son of a bitch, I hope he gets out when the water gets higher
>>
>>520003337
>Even concrete structures
Fucking hell. I felt bad for them enough already. That’s insane. I was over here thinking “I bet the guy with a concrete house feels real lucky right now” but I guess not.
>>
>>520003345
Okay here ya go
>>520003227


Here’s Evan Fryberger’s Stream for anyone who wants it. He’s up late narrating and providing live updates

https://www.youtube.com/live/lakPtFRsObQ?si=jyZCiQUFi7qVLsuF

If you don’t trust links just search his name on YouTube
>>
File: IMG_3612.jpg (91 KB, 1024x995)
91 KB
91 KB JPG
TOTAL TAMPA DEATH
>>
>>520003373
>Godspeed to that poor son of a bitch, I hope he gets out when the water gets higher
Yeah, honestly. He has balls of steel. They must be paying him a lot by Jamaican standards to not abandon his post, because I’d cut and rub. The worst part? As bad as it is right now, this is NOTHING. This particular live feed camera is DEEP INLAND away from the coast, and the storm doesn’t even MAKE LANDFALL on the COAST for another 8 hours. If it’s this bad now, deep inland, 7-9 hours from landfall, imagine how bad it will be at full force.

Water level went from being 4 feet under the bridge to right at the same level. It will overtake it soon.
>>
>>520003360
Water speed picked up again, F.
>>
Downtown Kingston already flooding kek. Not even 24 hrs until landfall
>>
>>520003343
it's relative to the 'health' power and presentation of the storm itself not the potential impacts or lack thereof
>>
File: G4VHsO1bMAAIDyw.jpg (305 KB, 1254x1212)
305 KB
305 KB JPG
>-3.61C
>Negative three point fucking six one degrees Celsius
What a beast of a bitch of a storm
>>
File: 1754729718431527.jpg (29 KB, 458x152)
29 KB
29 KB JPG
>>520003447
Thank you.
>>
Oh, the bridge camera zoomed in
>>
>>520003550
They're dead, aren't they bros...
>>
>>520003583
Hey bredda nuh lef dung here like dat bredda
>>
>>519995932
I’ll donate money to any private military contractor that pledges to go in afterwards to finish the job.
>>
File: IMG_1306.gif (7 KB, 100x100)
7 KB
7 KB GIF
>>520003755
No problem!

>that image
Kek
>>
How would you survive in these
>>
if i wake tomorrah to see de neegas smoking de erb an floateen on bamboo raaffs, an not TJD i be seeverely deesipointed mon
>>
>>520003781
They probably will be.

Water is about to go over the bridge level, check Evan Fryberger stream.

GET IN HERE NIGGERS:

>Evan Fryberger Stream - LIVE Storm Coverage with Narration and Camera Feed:

https://sys.4chan.org/derefer?url=https%3A%2F%2Fwww.youtube.com%2Flive%2FlakPtFRsObQ%3Fsi%3DjyZCiQUFi7qVLsuF
>>
File: G4SMY5RWwAAerAm.png (289 KB, 783x676)
289 KB
289 KB PNG
>>520003733
For reference, this is earlier about 13 hours ago when she first set the record.
I'm starting to think that if she had a bit more time before slamming into those island mountains, she could go positive.
>>
TICK TOCK BRIT BONGS
>>
File: picture4.jpg (95 KB, 600x800)
95 KB
95 KB JPG
>>520003755
I prefer nigger boy licorice
>>
>>520003889
Might’ve fucked up the link here, sorry. Here’s another:

https://www.youtube.com/live/lakPtFRsObQ?si=jyZCiQUFi7qVLsuF

If you don’t trust links just go on YouTube and search Evan Fryberger, he’s live right now.
>>
>>520003391
i always wonder why areas like this dont design half dome homes made of concrete. theres a multitude of ways to design a home or even city where it would be very resistant to wind. sure it would be unconventional but idk, maybe its worth it? its just strange that nowhere on earth does it, not even tornado alley
>>
>>520003883
Would not be surprised if these things are partially flooded already
>>
Streamer malding over chatters saying cat 6 7.
>>
Mad lad spotted on thw bridge!
>>
>>520003955
Just delete the ?si and everything after it
That's the tracking part of the link
>>
>>520003911
Bermuda is the bitch of every Caribbean storm top kek
>>
BOMBOCLAAT YUH SEE IT NOW?? Melissa tink she bad but Jamaica nuh fraid a no likkle breeze ya hear mi? Whole a di island massin up di place right now, tarpaulin pon roof, rum inna di cup, generator a hum, an granny deh pon verandah a cuss di wind like it tief har pension. Dem seh Category Five? PUUUSSIHOLE HURRIKAN, yuh cyan test yardman spirit! We survive Gilbert, Ivan, an all Babylon storm dem wah one likkle Melissa ago do? Di man dem strap dung di zinc, di gyal dem cook up bare curry goat an stew peas fi ride it out, di pickney dem a dance wid candlelight while di breeze a buss door like gunshot. Mi bredda up a hill a bawl, “COME YAH MELISSA, YUH CYAN DONE WI!” If power drop we light candle, if road flood we wade tru it same way. Jamaica nuh panic, Jamaica juggle. Jamaica seh WE NAH RUN, WE RUN TINGS. So blow if yuh bad Melissa, blow! Yuh only coolin off di rum, seen?
>>
File: IMG_3126.gif (1.85 MB, 404x404)
1.85 MB
1.85 MB GIF
>>520003887
Mfw dey smokin deh eye ground
>>
File: f5e.png (504 KB, 680x484)
504 KB
504 KB PNG
>>520004012
Rightfully so
>>
is there jsut a shitload of sediment building up under that bridge?
>>
>>520003975
Yeah I’m not sure. Probably a good reason for it but idk
>>
File: nothing-ever-happens.png (156 KB, 478x480)
156 KB
156 KB PNG
>>520003892
>>520003889
>>520003887
>>520003883
>>520003807
>>520003789
This is a nothingburger as usual.
It's going to make land at the lower end of cat 3.

>Reconnaissance data from overnight shows the inner 10 nmi eye is beginning to wobble and elongate, with radar loops revealing a secondary wind max forming ~25–30 nmi outside the core.
When the eyewall collapses and rebuilds less efficiently it will coincide with coastal impact (which also immediately weakens it)

>Melissa is tracking directly toward the highest terrain in Jamaica (Blue Mountains, peaking at 7,402 ft). The eye is only ~15–20 nmi wide—small enough to be severely disrupted by even brief mountain passes.
Known about for many days now.

>GOES-16 water vapor imagery shows a dry slot wrapping into the western semicircle, and SHIPS diagnostics indicate 15–20 kt of southwesterly shear impinging on the storm.

Even in the latest 06Z/12Z Oct 28 cycle, several reputable models show significant weakening:
>>
>>520004127
Won't be too long before it stops being a bridge, I think.
>>
>>520003975
I know earthships and dome houses don't get built very much in America because you pretty much cannot get permits for them
NIMBY-ism at its worst and most annoying
>>
Any Jamaicans here?

How are things right now? Has the storm hit yet?
>>
>>520004235
I knew it.
The weather is always fake and gay.
Always.
>>
>TREE JUST FLOATED DOEN RIVER ON STREAM
>>
File: GtmhErwa0AIQY-e.png (100 KB, 640x363)
100 KB
100 KB PNG
>>520004235
Timeline of the nothingburger
>05:00–07:00Inner eyewall collapses; winds drop to 145–150 mph

>07:00–09:00Dry air + shear tilt vortex; central pressure rises to 935 mb

>09:00–11:00Center crosses highest terrain; downdrafts spread, winds fall to 115–120 mph

>11:00Landfall as low-end Cat 3 (sustained 115 mph, gusts 140 mph)

Screencap this. I'm right and you know it.
>>
>>520003955
I'm chatting about Mormon nursery rhymes there.
>"The rains came down and the floods came up..."
>>
>>520004051
>Jamaica seh WE NAH RUN, WE RUN TINGS.
This is literally how 2nd generation Jamaican immigrants in Canada speak.
>>
>>520004270
>>519996429
>>
>>520004310
Yep, hurricanes always do this.
I remember Dorian being a genuinely insane storm and even that ended up cucking out at the last minute (against the predictions that time too)....
>>
>>520004320
For those godless Rastafarians? Nah they're fucked lol God won't save them
>>
>>520004320
Wew bros
It's happening
This faggot finally came out of the closet
>>
>>520004310
Nah, it’ll still be horrible. Initial landfall will devastate the coast, and 20 inches of rain is expected across the entire island. Watch Evan Fryberger’s stream on YouTube. He’s live right now.

On stream there’s a bridge about to be covered by water, a few hours ago the water was 4 feet below the bridge. This is high elevation and deep inland away from the coast, and wind and rain has already raised the water level this extreme. This isn’t even the major rain expected yet, and it’s still 7-9 hours estimated before landfall. Keep in mind this is deep inland.
>>
File: 1748888960981519.jpg (19 KB, 426x424)
19 KB
19 KB JPG
>memeflag replying to himself

anyways goodnight duders
>>
>>520004051
Strap dung di zinc is the only bit I couldn’t figure out. Is it about guns or weed?
>>
File: otis1.png (104 KB, 598x690)
104 KB
104 KB PNG
>>520004320
I don't suppose you remember Otis hitting Acapulco in 2023, do you?
>>
File: f50.jpg (77 KB, 800x1024)
77 KB
77 KB JPG
BLUDCLOOOOT
>>
>>520004473
People were strapping down their zinc roofs and weighing them down with cinderblocks
It's probably not going to do them much good
>>
Goodbye Jamaica.
It was fun shit posting with you.
Don't forget to feed the fish.
>>
File: otis4.png (408 KB, 596x542)
408 KB
408 KB PNG
>>520004484
>replying to myself too because I'm also a huge faggot
>>
File: otis8.png (682 KB, 598x635)
682 KB
682 KB PNG
>>520004484
>>520004552
Similar situation unfolding now
>>
>>520004535
It's only going to be a cat3 when it hits land.
>>
>>520004265
its absolutely unreal. if i could kill any group of people it would be NIMBYs after jews
>>
>>520004535
Shame, I didn't even hate Jamaica yet.
>>
Evan Fryberger Live Storm Coverage -Live Cam, Weather Radar, Live Announcements Late Night Stream

https://www.youtube.com/live/lakPtFRsObQ?si=jyZCiQUFi7qVLsuF
>>
>>519994751
THIS IS THE ONE TO TAKE OUT NEW ORLEANS AGAIN

Seriously, I've been calling it the year that it changes to la nina, lmaoooo
>>
How slow is this monster of a storm moving if it's not expected to make landfall for another 7 hours?
>>
>>520004678
2mph is the number I heard on the stream, but he also said that he thinks it's faster than that
>>
>>519999808
that looks like the room where the guy freaks out over world of warcraft and shoves a tv remote up his ass
>>
File: nhcmel27A.png (17 KB, 978x163)
17 KB
17 KB PNG
>>520004678
She'll pick up some speed but not much until she's well past the island
>>
>>520004713
So the faster the storm moves the better result for Jamaica right? Only a couple hours the eye will be over land?
>>
>>520004678
i heard 10mph
creepin by
>>
>>520004678
Very slow. It’s taking its time building up. This is going to be BAD. The storm is very cold (more intense) and has set a new record for dryness. EXTREMELY dangerous. Winds at 180mph. Storm surges incoming. 20 inches of rain across the island.

3 reported dead already, already taking out power, it’s going to be strong enough to destroy concrete structures. Hurricane Dorian level destruction is expected and that’s fucking bad. Category 5. Watch the livestream

Evan Fryberger’s stream
>>
>>520004797
>2mph
fuck me thats not good lol
>>
>>520004810
Wait, what does a dry storm mean? Looks pretty rainy on live stream
>>
>>520004862
I think he means in the eye, why that's bad, idk.
But "going in dry" is never a good sign
>>
File: melissanopower1.png (15 KB, 594x174)
15 KB
15 KB PNG
Tsk tsk, not cool with the false advertising Jamaica bros
>https://x.com/jpetramala/status/1983068696538165267
>>
>>520004678
It's moving slow enough to dump THREE FEET of rain on the wreckage of Jamaica.
At least most of the bodies killed by flying houses will be washed out to sea so they don't stink and breed disease to kill those few left alive
>>
We're not going to see shit of this hurricane making landfall because there will be no services on the island.
>>
>>520004484
m from acapulco,still get nervous when it rains. was fucked up
>>
>>520004810
It's only supposed to be a category 3 when it hits. Remember when everyone was freaking out about Milton hitting Tampa and that ended up being a nothingburger?
>>
>>520004799
The slower it is, the more rain will get dumped. So yeah, you want it to gtfo fast
>>
15,000 thousand dead. screen shot this
>>
>>520004862
The dryness of the eye of the storm, as in the center of it. Yes, the storm will be VERY WET in terms of rainfall. Much more than usual.

On the livestream we’re watching right now, there’s a bridge deep inland far from the coast that has water 4 feet below it, now it’s about to overtake the bridge, and is expected to rise several feet above it. The overwhelming majority of the rain hasn’t even hit, but what little rain and wind has come has already raised the height by 4 feet. It’s gonna be bad. When the expected 20 inches hits I can’t imagine how bad it will be. The center of the storm will tear apart everything in its path regardless of material.

Storm isn’t expected to make landfall for another 7 hours and it’s already killed at least 3 people and taken out power in many areas.

180mph winds and the high elevation areas will have 30% stronger winds than low elevation areas. We haven’t seen a hurricane this bad in years. Random debris floating down river, seen a log and a tree so far.
>>
>>520005042
It’s NOT gonna be a nothingburger, this isn’t like Milton. This is an irregular storm. I have also been scorned by nothing ever happening but something is absolutely going to happen this time. I can feel it.
>>
>>520005095
How many of the " dead" will be children kidnapped by Democrats?
They never let a disaster like this go to waste.
The lucky kids will actually be killed by the hurricane
>>
>>520004862
>>520004907
>>520005220
Found a few sources of info:

>https://iere.org/why-is-the-eye-of-a-hurricane-calm/
Sinking Air and Adiabatic Warming
The key to the eye’s calmness lies in this sinking air. As air descends, it is compressed by the increasing atmospheric pressure. This compression causes the air to warm, a process known as adiabatic warming. Warmer air can hold more moisture, further inhibiting cloud formation.

Therefore, the eye is a region where sinking, warming air prevents the development of thunderstorms, resulting in clear skies and lighter winds. It’s crucial to remember that this is only a temporary reprieve; the back side of the eyewall presents just as much danger as the front.

>https://x.com/BluekandyWX/status/1982870520480866620
dry in this context means more blackbody radiation measured due to lack of cloud cover in the eye and warmer temperature recorded from a stronger sinking motion in the mid-level of the eye.

it would go up/down as a result of changing environment in the eye. When the eye clouds over, or undergoes a new eyewall replacement, these would make the satellite-measured eye temp much colder while corresponding to a weakening phase.
>>
>>520005220
Thanks learned something new about hurricane terminology with that "dry eye" language. That bridge isn't going to make it for sure
>>
>>520005290
The children will be brought down to the water temple by the fish people long before the Clinton Foundation can get them
>>
>>520005304
So Jamaica will be entirely flooded? Fuck.
>>
>>520005308
No problem! Yeah, the bridge is fucked lol

Bridge about to flood, a bunch of debris got pinned and it’s creating a dam, it’s about to flood on stream. Evan Fryberger providing great coverage. I know people are probably sick of me shouting him out here but he’s been up all day and live for at least 12 hours today.
>>
>>520005397
Yeah dude, it’s totally fucked. This is going to be bad, we know because it’s already bad and we’re not even close to landfall yet.


The eye of the storm is VERY dry and it keeps drying out. It’s already broken a record and it keeps going. The more dry the eye and the colder the center, the worse the storm.

If anyone has seen a radar of the storm, you’ll notice the entire center is pink. This is not good. Pink = very cold = very bad. Big storms that have been bad in the past were white and this storm is pink. White is less cold and there’s an unreal amount of pink.
>>
File: G4VPWwVbwAAJgoW.jpg (305 KB, 1254x1212)
305 KB
305 KB JPG
>>520005304
>>520003733
>still warming to -3.48C now
This bitch is hot and heavy
>>
>>520005514
It's not going to be a nothingburger after all.

We are doomed.
>>
File: IMG_1096.gif (306 KB, 500x361)
306 KB
306 KB GIF
>>520005582
Yes, it’s over
>>
File: 91b.jpg (77 KB, 539x526)
77 KB
77 KB JPG
The water is nearly cresting over the flatbridge now.
>>
File: G4VSy3easAQBBPl.jpg (284 KB, 1254x1212)
284 KB
284 KB JPG
>>520005557
Nevermind...
>-3.14C
>>
>>520004484
Otis hit Max Igan's house dead-center. Came out of nowhere too. Extremely sus.
>>
>>520005376
Nagas?
>>
File: otis11.png (171 KB, 598x614)
171 KB
171 KB PNG
>>520005036
Hope you are doing alright Mexibro. How's the recovery effort going there? I swear that storm got swept under the rug super hard, you barely hear anything about it in the media.
>>
>>
>>519996267
>>519996330
I've been lurking here for years and don't think I've actually seen a Jamaican flag. Am I retarded?
>>
File: nervous dog.jpg (93 KB, 768x768)
93 KB
93 KB JPG
How does anything manmade survive 250+km/h gusts?
>>
File: IMG_1218.gif (445 KB, 300x186)
445 KB
445 KB GIF
>>520005613
>>
>https://x.com/Weatherunited1/status/1983081827985436737/photo/1
>>
>>520005877
It doesn’t, that’s the problem. This storm will be intense enough to destroy concrete structures.
>>
When's the best time to sleep? Or should I just stay up at this point?
>>
>>520005514
>>520005582
There was a deep solid ring of pink earlier.
>>
>>520005989
Forgot pic
>>
>>520004672
Better do a run on Big Shot soda now while it still exists.
>>
>>520005989
>>520006023
Not quite as much pink as of the latest scan but the overall size of the storm has noticeably enlarged.
>>
File: 1598374482745.png (141 KB, 400x500)
141 KB
141 KB PNG
>>520006023
Subarashi
>>
>>520005983
isn't it still ~10 hours away from peak? just get 6 hours now
>>
>>520005983
>>520006177
Should be approaching landfall between ~8am-12noon est
>>
>>520005983
Landfall is a few hours from now.

Honestly? I’m staying up. Cut my losses already, it’s 4 AM here, I’m staying up for the next few hours. Landfall won’t be for another few hours, and it will be a few hours more after that before peak destruction.

Up to you, pal, but I’m staying up. Some people are suggesting to take a two-hour nap now, but make sure you set multiple alarms if you do, so you don’t miss anything. If you can stay up for the next 10 hours to see everything I would. Otherwise take a nap for a few.
>>
>>520005983
I should add, landfall is expected between 4 and 8 hours from now, most likely between 4 and 6 hours from now.


UPDATE - RUNWAYS AT THE AIRPORT ARE NOW UNDERWATER. I REPEAT, RUNWAYS ARE SUBMERGED. WE ARE NOT EVEN CLOSE TO LANDFALL YET
>>
>>520006546
Flat bridge has been topped as well
>>
The idea of it flooding from rain.... *then* a fucking storm surge coming in is terrifying. Nowhere for the water to go.
>>
>>520006546
Fuck. Any photos?
>>
so the storms gonna make landfall as the tide is going up. right now, tide's low.
>>
>>520006573
FUCK. It has? My stream cut out and it’s buffering on me. Fuck.
>>520006732
Not yet, will try to get some
>>
>>520006546
The meteo weather service radar is like 100m from the airport, that's going to get fucked too.
>>
>>520006546
working as intended
>Norman Manley International Airport (KIN) in Kingston is about 10 feet above sea level
>>
The sheer amount of time this thing is gonna sit over this island at strength is crazy, there are gonna be waterfalls and landslides all over the fucking place hell, I wouldn’t be surprised if the peak of the island loses a few feet of height
>>
>>520006809
it's on this (rotating cams)
https://www.youtube.com/watch?v=mCT5dMOdDC0
>>
>>520006546

I guess the most only way to escape will be to go north on boat or helicopter for the brave enough
>>
>>520006847
Their buildings are built to withstand hurricanes of this category, right?
>>
File: 1621484729169.jpg (67 KB, 1242x1182)
67 KB
67 KB JPG
o fuck
>>
>>520006919
If by withstand you mean get destroyed by, yes.
>>
>>520006830
Shit
>>520006836
Yeah, a lot of people just can’t really comprehend how bad this is going to be. It’s bittersweet for me, on the one hand I am grateful to be able to witness such a unique weather event. On the other hand, I know this is going to devastate the island. A lot of people refused to evacuate. Many others will be killed even if they weren’t directly asked to
>>
>>520006899
Yeah, there’s some shelters but not enough for everyone. Unfortunately some people couldn’t be reasoned with and refused to leave
>>
>>520005786
the recovery is very slow, but all the city was destroyed, lost lot of things including my car, my house its made of concrete and it was shaken like an earthquake and the wind noise were terrible, its all true what they said that sounded like voices, maybe people yelling things flying, trees falling, some houses. the worst part only lasted 2 hours . i am sure that if it lasted like 3 or more i would be dead
>>
File: 1732901536311299.png (25 KB, 128x192)
25 KB
25 KB PNG
>>520006546
>most likely between 4 and 6 hours from now.
Fuck it, guess I'll wait it out
>>
>>520006956
Also, think of all the Jamaican refugees pouring into Florida. Wonder how that's going to factor in given the ICE raids.
>>
>>520006919
the bridge will be fine
the rest of the country is cinder blocks and tin roofs anon, hurricanes will rip through it. a lot of people are sheltering in concrete buildings but will lose their homes.
that's in the cities. jamaica is very mountainous too.
people in the mountains live along ravines carved by creeks, natural waterways, they're at risk of flooding from 40-100 inches of rain, which a ravine can turn into a 20 foot flood
>>
>>520007007
Stay strong, soldier. It’s worth seeing the storm live even if it’s exhausting
>>520007055
Shieeeet

Update - Hurricane is now 70 miled away from the coast
>>
File: fb.jpg (90 KB, 871x809)
90 KB
90 KB JPG
https://www.youtube.com/watch?v=k4Lt_iev8x4

people are down there watching flat bridge
>>
Kek guys I found a Jamaican streamer covering the storm live

https://www.youtube.com/live/DEfK8scSiEo?si=9DDyC4DVr79_qXuA


Their accents are so funny
>>
File: nan-yin-hurricane.gif (3.07 MB, 400x300)
3.07 MB
3.07 MB GIF
>>520006919
Maybe a handful of government buildings and designated shelters but no... no.
>>
File: 47598475934.png (836 KB, 1403x629)
836 KB
836 KB PNG
>>520000517
Electric lines started randomly blowing up here:
>>
>>520007220
Crazy
>>
magnificent footage
https://apnews.com/video/us-air-force-provides-views-from-inside-hurricane-melissa-1ba8f25c4ea14ef5a38ba6048a070ee9
>>
>>520007202
I cant even tell what he's saying
>>
>>520007290
I'd kill to go on a ride-along with the hurricane hunters
>>
>>520007316
Learn English mutt
>>
>>520007290
wew, the nigger decimator 9000 looks very white
Vantawhite even
>>
There's someone dancing for us next to the bridge with a flashlight kek
>>
File: dragonsunset.jpg (138 KB, 1014x1467)
138 KB
138 KB JPG
>>520006996
Damn homie, sorry to hear you got shaken up pretty bad but thank you for sharing.
Keep on fighting the good fight, we all gonna make it.
>>
>>520007331
>OOH SEY RENDOM PIN DE NAMBAH OOH TES A CHAILD TES A PROBLEM ANSE FOO SEVETE FREE YAA FIX EET
>>
>>520007290
way cool.
>>
>>520007290
>>520007322
I feel you
it's impossible to get the scale from a video
>>
Guess I'll bake fresh
STANDBY
>>
A MAN HAS EXITED THE SHACK
>>
>>520007577
Waiting for the 5AM NHC major update to add to next OP
>>
>>520007202
>>520007373
What they're speaking is literally considered its own language rather than being accented English. A lot of countries have these bastardized languages which originally started from English but have devolved to the point where only the locals can understand each other
>>
File: 901 mb 175 mph.jpg (492 KB, 1465x1871)
492 KB
492 KB JPG
>>520007638
>down mbs
>not up in wind speed
ewrc?
>>
Bake a new thread and add the various livestreams to the OP.
Cameras are getting shaky.
Surely some of them will go down at a certain point.
>>
>>520007806
Yes, Jamaican Patois

English-based Creole language
>>
>>520007541
I'm lucky enough to at least have seen a major tornado in person. That was a mind blowing experience in itself.
2013 El Reno tornado if you wanna look it up.
>>
>>520007806
It sounds like the current caller is trying to brush off the storm and the caster is trying to convince him to take it seriously
>>
>>520007806
A 80 IQ creature cannot process standard english. Their brain automatically dumbs it down to pidgin.
>>
PLEASE EVACUATE
>>520007939
>>520007939
>>520007939
PLEASE EVACUATE
>>
>>520007322
100%. I mean I'd be a bit of a bumpy ride but w/e.
>>520007847
just like redwood trees, there is nothing like that where I live. they are loud af, right? I'd love to see one.
>>
>>520007855
It’s fucking absurd. This was a big problem the Jamaican government faced.

I was watching /pol/‘s favorite streamer, Agenda Free TV (Steve Lookner) and he was covering their press conferences. It was clear to me they were trying to cover their ass for the inevitable mass death, because they specifically brought up how they had sent government officials out to try and convince people to leave, sent busses to take people to shelters, spoke to them for hours.

These people don’t get it. A lot of Jamaicans are preparing properly and evacuating, but some of these people are just… anti-intellectual.

Some at least seemed to know what they were risking. One Jamaican hill dweller straight up told the government man “yeah I’d rather stay and die here”.
>>
>>520008054
It happens here in Florida, too. Hell, it's happened to people in these very threads. It's sad to think that we were probably the last point of contact for at least 2 anons during Ian
>>
>>520008002
you have a few above 40m, germans love redwoods
https://www.monumentaltrees.com/en/deu-giantsequoia/
doesn't compare to a whole forest
visit norcal before it all burns down
>>
File: IMG_1357.jpg (431 KB, 1170x785)
431 KB
431 KB JPG
>>520008002
Tornados are unreal in real life. Some are small and boring, very weak, only touch for a few minutes, do no damage.

Others are something straight out of an apocalyptic horror fantasy. Just pure destruction from hell. The photo I have attached here is a tornado with some wind turbines in the background for size comparison
>>
>>520008134
True, it’s tragic
>>
>>520008232
jesus
wind turbines are also in the have to see them in person category
sometimes I look at a high cloud and imagine a funnel reaching down to fuck one dude's farm in particular
like an inverted tower of babel
>>
>>520008668
Yeah, the fact that wind turbines are already massive in real life makes the photo of them looking like blades of grass all the more impressive.

And yeah, it’s almost funny when a tornado touches down, takes out one farmhouse, and fucks off. Just hates that one house in particular



[Advertise on 4chan]

Delete Post: [File Only] Style:
[Disable Mobile View / Use Desktop Site]

[Enable Mobile View / Use Mobile Site]

All trademarks and copyrights on this page are owned by their respective parties. Images uploaded are the responsibility of the Poster. Comments are owned by the Poster.